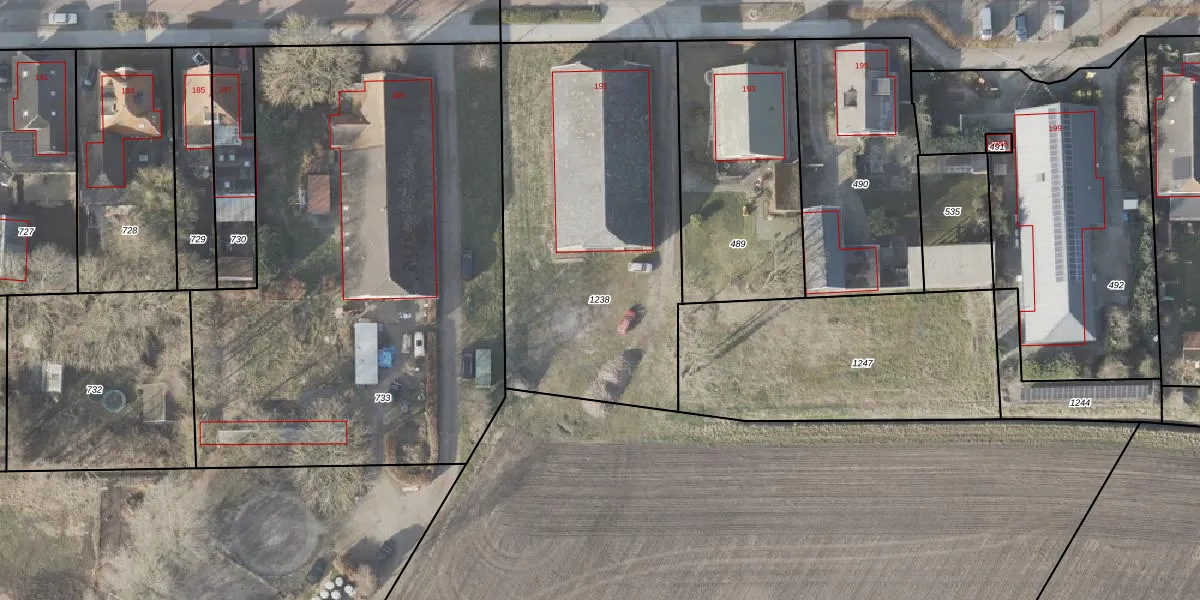
Perceel: VDM00-P-1238
KadastraleKaart.com kan meer dan je denktOntdek meer ›
Filter op bestemming 50+ datasets Eigendomsdata in één klik Percelen CRM
1.755 m2 - 179 m
Eigenaar opvragen
VDM00-P-1238 (Veendam)
- 9644 XE
AzbWca6Tcpt FHJv1hH76gejgWTC XgUpgrade naar KadastraleKaart Pro
Bekijk op Street View
Download DWG/DXF/Excel
qx327ljJwIGYvEsjUpgrade naar KadastraleKaart Pro
E0mb iUTUpgrade naar KadastraleKaart Pro
UC2dwIASqhsw QmUpgrade naar KadastraleKaart Pro
FO3j7IXvCrQy9DB3Nlz3KeQUpgrade naar KadastraleKaart Pro
BgCOvncx2RgKpzGbSX4 Upgrade naar KadastraleKaart Pro
LiDgq51JUpgrade naar KadastraleKaart Pro
GXWu uC3oJA1ZQ6yefUpgrade naar KadastraleKaart Pro
okPf9 IL8EMXOusQWSKwmFdUpgrade naar KadastraleKaart Pro
ltfeb489G6oUpgrade naar KadastraleKaart Pro
H 9yZUaesiOBxjLbrLglzEUpgrade naar KadastraleKaart Pro
12/03/2019

Percelen
Gebruik de zoekbalk of klik op een perceel om informatie over het perceel te bekijken.