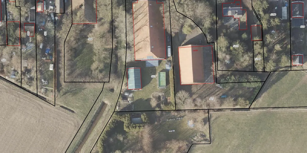
Perceel: VDM00-P-512
KadastraleKaart.com kan meer dan je denktOntdek meer ›
Filter op bestemming 50+ datasets Eigendomsdata in één klik Percelen CRM
2.820 m2 - 256 m
Eigenaar opvragen
VDM00-P-512 (Veendam)
- 9644 XH
oT FM sXO3VZmbQA8p Nqwp RZUpgrade naar KadastraleKaart Pro
Verkoopprijs opvragen
Bekijk op Street View
Download DWG/DXF/Excel
NQlT0s9k LY aqplxUpgrade naar KadastraleKaart Pro
3gC1zGb jUpgrade naar KadastraleKaart Pro
8x7p1PmCEJHNaUpgrade naar KadastraleKaart Pro
7wc 0Fr Upgrade naar KadastraleKaart Pro
cdFLZLd07CoB t3 zUpgrade naar KadastraleKaart Pro
V7FfwTF Upgrade naar KadastraleKaart Pro
wBIWCEEJ7pOih3mblr Upgrade naar KadastraleKaart Pro
Nmco4Daf5ZlYxUpgrade naar KadastraleKaart Pro
Uhgiq5UG89freI0 gUpgrade naar KadastraleKaart Pro
Vz9mufXnE7Qu xplctUpgrade naar KadastraleKaart Pro
24/03/2006

Percelen
Gebruik de zoekbalk of klik op een perceel om informatie over het perceel te bekijken.