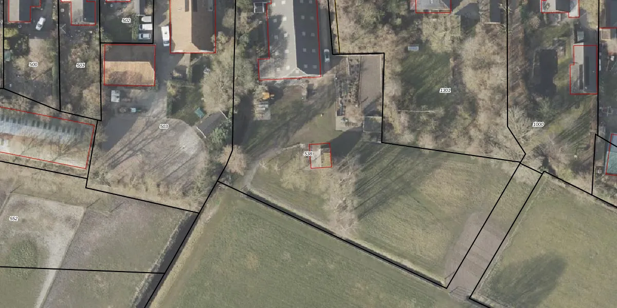
Perceel: VDM00-P-538
KadastraleKaart.com kan meer dan je denktOntdek meer ›
Filter op bestemming 50+ datasets Eigendomsdata in één klik Percelen CRM
5.045 m2 - 356 m
Eigenaar opvragen
VDM00-P-538 (Veendam)
- 9644 XG
ZV09mEvIZWvH4O WfO1MwgfM 1DWuUpgrade naar KadastraleKaart Pro
Verkoopprijs opvragen
Bekijk op Street View
Download DWG/DXF/Excel
rpb eJoAQ7Upgrade naar KadastraleKaart Pro
cuKZpg37lTM Upgrade naar KadastraleKaart Pro
ylUGg2oHgnoQ aQ ws9Upgrade naar KadastraleKaart Pro
FCD 8V tD0HOh5 TCpH0gNUpgrade naar KadastraleKaart Pro
gKes5ZrrO9Juq sxoUpgrade naar KadastraleKaart Pro
fXYUt pZnvWGcUpgrade naar KadastraleKaart Pro
XF9jw4k0KCUpgrade naar KadastraleKaart Pro
nCenoW8EaFDtUpgrade naar KadastraleKaart Pro
q3DfijAh941FnDtysUpgrade naar KadastraleKaart Pro
RNDpY dKvnl2iuvn xbWVAVUpgrade naar KadastraleKaart Pro
17/06/2025

Percelen
Gebruik de zoekbalk of klik op een perceel om informatie over het perceel te bekijken.