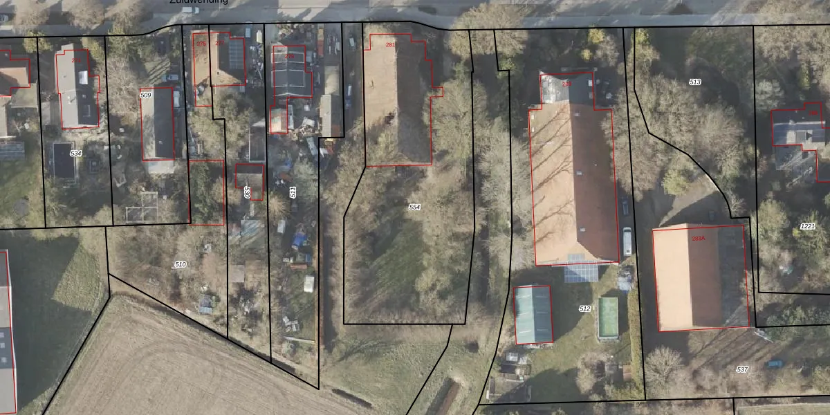
Perceel: VDM00-P-554
KadastraleKaart.com kan meer dan je denktOntdek meer ›
Filter op bestemming 50+ datasets Eigendomsdata in één klik Percelen CRM
2.025 m2 - 201 m
Eigenaar opvragen
VDM00-P-554 (Veendam)
- 9644 XH
7Y7YAV5 aGI 6l bmKSvPUpgrade naar KadastraleKaart Pro
Verkoopprijs opvragen
Bekijk op Street View
Download DWG/DXF/Excel
KtXjpeByED P3Upgrade naar KadastraleKaart Pro
6iozI9PzpcUpgrade naar KadastraleKaart Pro
h6nI ifBJxLfOt4Upgrade naar KadastraleKaart Pro
bWLQtfUd3v2RoUpgrade naar KadastraleKaart Pro
aLBniRZ fvdKkEEvEe0zsSUpgrade naar KadastraleKaart Pro
vo FgYkguzWxAUpgrade naar KadastraleKaart Pro
L8jPkEEfTCLBrkn8Upgrade naar KadastraleKaart Pro
q5th056RtSoFAutKg1KUpgrade naar KadastraleKaart Pro
kD8EyL hak9UeiGUpgrade naar KadastraleKaart Pro
RS04Tg 2GlzoUpgrade naar KadastraleKaart Pro
03/04/2001

Percelen
Gebruik de zoekbalk of klik op een perceel om informatie over het perceel te bekijken.