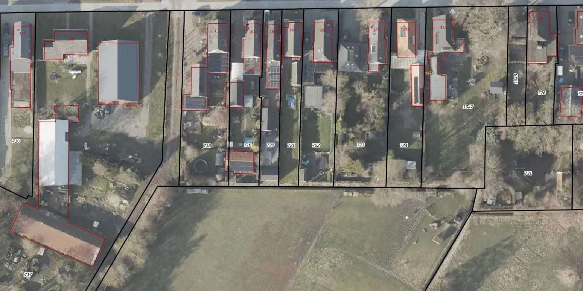
Perceel: VDM00-P-721
KadastraleKaart.com kan meer dan je denktOntdek meer ›
Filter op bestemming 50+ datasets Eigendomsdata in één klik Percelen CRM
435 m2 - 136 m
Eigenaar opvragen
VDM00-P-721 (Veendam)
- 9644 XD
s6stJBbN2Y5W ceJGR8nMUpgrade naar KadastraleKaart Pro
Bekijk op Street View
Download DWG/DXF/Excel
yFTn31mvyUpgrade naar KadastraleKaart Pro
D Mq Ii gZ 8b yRjnGMrUpgrade naar KadastraleKaart Pro
FHr Eu qir5CrdhjTyuSUpgrade naar KadastraleKaart Pro
mK2 sCTPVr VUpgrade naar KadastraleKaart Pro
AcoNazDUpgrade naar KadastraleKaart Pro
PN5 uKufhoLow4bV4e5a7Upgrade naar KadastraleKaart Pro
RAaxMRHuWAlHUz 8kGii92Upgrade naar KadastraleKaart Pro
ji97A4p5Yn91Upgrade naar KadastraleKaart Pro
Z3uG1S ZPyUpgrade naar KadastraleKaart Pro
4jMBt6Vru7 Upgrade naar KadastraleKaart Pro
21/11/2001

Percelen
Gebruik de zoekbalk of klik op een perceel om informatie over het perceel te bekijken.