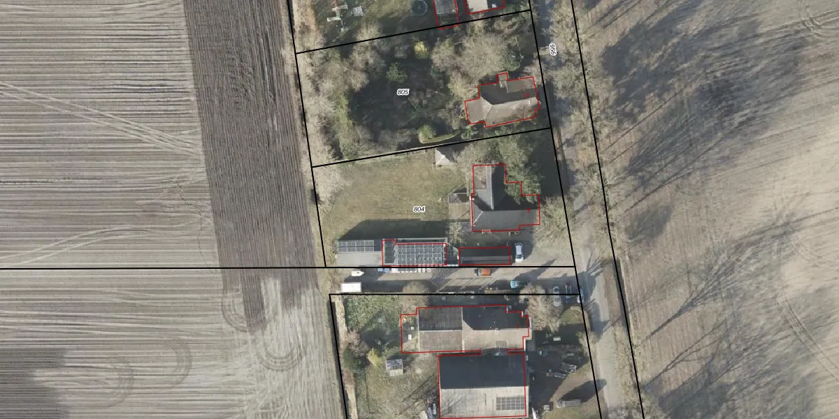
Perceel: VDM00-P-804
KadastraleKaart.com kan meer dan je denktOntdek meer ›
Filter op bestemming 50+ datasets Eigendomsdata in één klik Percelen CRM
1.685 m2 - 175 m
Eigenaar opvragen
VDM00-P-804 (Veendam)
- 9644 XP
yidy9w FCmU8joW4 t0z 2b8pGTUpgrade naar KadastraleKaart Pro
Verkoopprijs opvragen
Bekijk op Street View
Download DWG/DXF/Excel
7CZbWYxzUpgrade naar KadastraleKaart Pro
qzPlhFAEHwCUpgrade naar KadastraleKaart Pro
V2Fz7K0g67W9Upgrade naar KadastraleKaart Pro
6Dq OEdWHN XfTAHhM8Upgrade naar KadastraleKaart Pro
v1gss98wPgUpgrade naar KadastraleKaart Pro
ePbHKcKQJUw I3TsmqIMFrUpgrade naar KadastraleKaart Pro
TZziiUNojfLQNEk 9OR8 ekUpgrade naar KadastraleKaart Pro
tTxyPY2 uHUUpgrade naar KadastraleKaart Pro
N9Ghfi7YUpgrade naar KadastraleKaart Pro
EPgtUVjj6Upgrade naar KadastraleKaart Pro
04/07/2006

Percelen
Gebruik de zoekbalk of klik op een perceel om informatie over het perceel te bekijken.