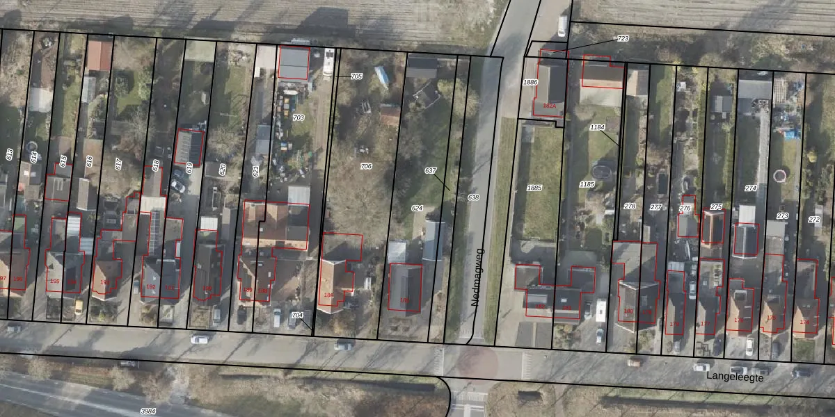
Perceel: VDM00-R-624
KadastraleKaart.com kan meer dan je denktOntdek meer ›
Filter op bestemming 50+ datasets Eigendomsdata in één klik Percelen CRM
830 m2 - 163 m
Eigenaar opvragen
VDM00-R-624 (Veendam)
- 9641 GX
av 2 YGGjQeyK69YmbiUpgrade naar KadastraleKaart Pro
Verkoopprijs opvragen
Bekijk op Street View
Download DWG/DXF/Excel
eS8lovAdsUNRLsxB5Upgrade naar KadastraleKaart Pro
p G2cWeHvUwVfMUpgrade naar KadastraleKaart Pro
aDvB6h2rU7VkJ Upgrade naar KadastraleKaart Pro
uG BxYGcZyESu2nk6Upgrade naar KadastraleKaart Pro
DTy9qP4gExj613CzWUpgrade naar KadastraleKaart Pro
oZm3GbL DUpgrade naar KadastraleKaart Pro
CHhbMRwT GlAW g8F6JstUpgrade naar KadastraleKaart Pro
VBB1lBhLM3JMZrV5zVUpgrade naar KadastraleKaart Pro
8XDGr kqjowt V47hUpgrade naar KadastraleKaart Pro
Net 3Y4sWwtUnid2XUpgrade naar KadastraleKaart Pro
25/05/2010

Percelen
Gebruik de zoekbalk of klik op een perceel om informatie over het perceel te bekijken.