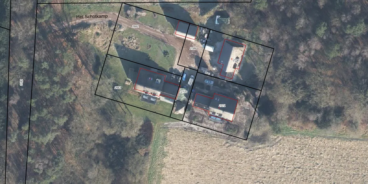
Perceel: VDN02-D-2770
KadastraleKaart.com kan meer dan je denktOntdek meer ›
Filter op bestemming 50+ datasets Eigendomsdata in één klik Percelen CRM
Geen adressen bij dit perceel
200 m2 - 71 m
Eigenaar opvragen
VDN02-D-2770 (Vorden)
- Geen postcode aanwezig
un32efwX8lodGWM K dUpgrade naar KadastraleKaart Pro
Bekijk op Street View
Download DWG/DXF/Excel
saGlsiMIUpgrade naar KadastraleKaart Pro
CA8BE8xIP2io1v hnd5H wjUpgrade naar KadastraleKaart Pro
EvyJp8as45v RGUpgrade naar KadastraleKaart Pro
lwG1 NxXyRoRofilUGiUpgrade naar KadastraleKaart Pro
dsL8V3ihE ezoU0UnrF Upgrade naar KadastraleKaart Pro
n4XwpDWR2D G V29VjUpgrade naar KadastraleKaart Pro
zb8mmMvFCHClq Oh DUpgrade naar KadastraleKaart Pro
hoYdl7ER2M4rBCBl7yJ3SUpgrade naar KadastraleKaart Pro
ExPVIx3fUpgrade naar KadastraleKaart Pro
fBsT qxjNUpgrade naar KadastraleKaart Pro
07/02/2022

Percelen
Gebruik de zoekbalk of klik op een perceel om informatie over het perceel te bekijken.