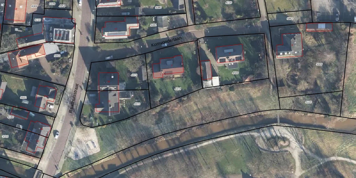
Perceel: VDN02-K-4374
KadastraleKaart.com kan meer dan je denktOntdek meer ›
Filter op bestemming 50+ datasets Eigendomsdata in één klik Percelen CRM
860 m2 - 120 m
Eigenaar opvragen
VDN02-K-4374 (Vorden)
- 7251 AC
AU NcCk6UyZPZG5Ic0jUpgrade naar KadastraleKaart Pro
Verkoopprijs opvragen
Bekijk op Street View
Download DWG/DXF/Excel
EYT3J4 VzHTrUpgrade naar KadastraleKaart Pro
3d2 K l9aFLfRwoGAoUpgrade naar KadastraleKaart Pro
AoXL p5CgFC0xOG5Upgrade naar KadastraleKaart Pro
6gE4 vGGNZmgl Bdp1GTMsUpgrade naar KadastraleKaart Pro
Y Tc 8M xNUpgrade naar KadastraleKaart Pro
G 6XTC7bYEZGE1IxHBE s7Upgrade naar KadastraleKaart Pro
6h7B hCyR5MfD2Upgrade naar KadastraleKaart Pro
44n8g3yhkx wWMIIT Upgrade naar KadastraleKaart Pro
u zVD4crIvphGwzJXUpgrade naar KadastraleKaart Pro
ZuVKj5L rEUpgrade naar KadastraleKaart Pro
08/11/1999

Percelen
Gebruik de zoekbalk of klik op een perceel om informatie over het perceel te bekijken.