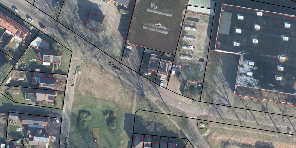
Perceel: VDN02-K-4497
KadastraleKaart.com kan meer dan je denktOntdek meer ›
Filter op bestemming 50+ datasets Eigendomsdata in één klik Percelen CRM
240 m2 - 66 m
Eigenaar opvragen
VDN02-K-4497 (Vorden)
- 7251 EV
eDtymvLyF8PbOaUNNGNnFOJQUpgrade naar KadastraleKaart Pro
Bekijk op Street View
Download DWG/DXF/Excel
6CXWU29XFwsPRUpgrade naar KadastraleKaart Pro
k5gV H3nPIMFRErtUpgrade naar KadastraleKaart Pro
LzQLTHiNoiUpgrade naar KadastraleKaart Pro
Gpo7rMrwvqUqkzKWAdLkUpgrade naar KadastraleKaart Pro
T1ldpTBoUpgrade naar KadastraleKaart Pro
d4bc41K8I QPUpgrade naar KadastraleKaart Pro
UXapDqC1rFEf wLhZt Upgrade naar KadastraleKaart Pro
tB 35w8X9vcJwKUpgrade naar KadastraleKaart Pro
XEL5rUIcIHuFxvo3AUpgrade naar KadastraleKaart Pro
cQR4aQed7 JN 7wyUpgrade naar KadastraleKaart Pro
11/04/2011

Percelen
Gebruik de zoekbalk of klik op een perceel om informatie over het perceel te bekijken.