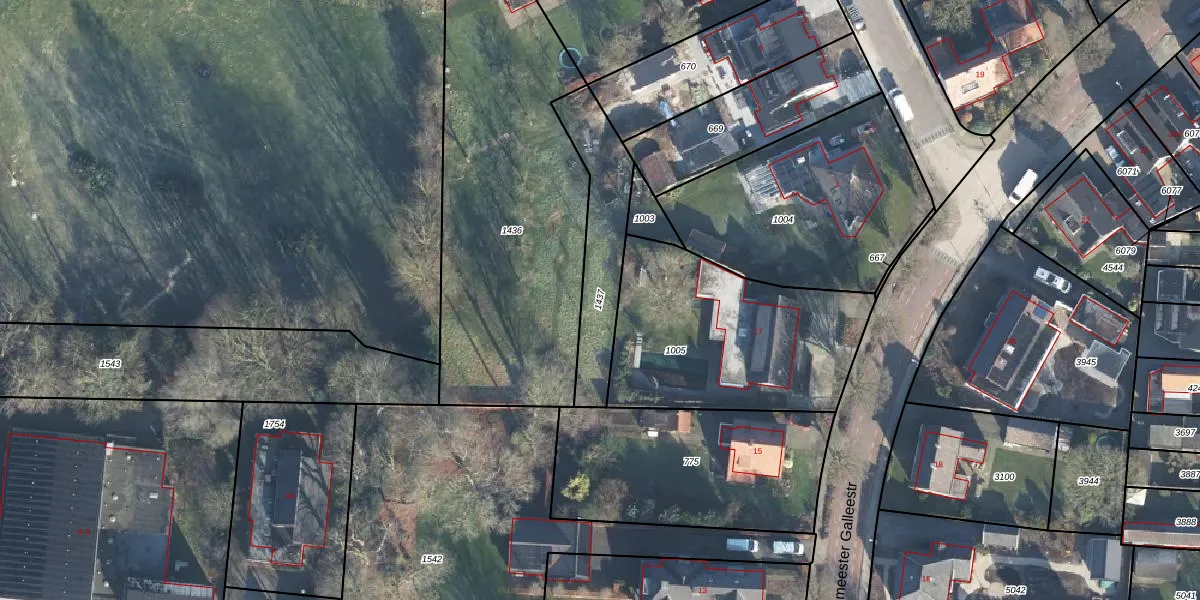
Perceel: VDN02-M-1437
KadastraleKaart.com kan meer dan je denktOntdek meer ›
Filter op bestemming 50+ datasets Eigendomsdata in één klik Percelen CRM
Geen adressen bij dit perceel
353 m2 - 121 m
Eigenaar opvragen
VDN02-M-1437 (Vorden)
- Geen postcode aanwezig
0TtpPhiNVerpkWmNl7ZUpgrade naar KadastraleKaart Pro
Bekijk op Street View
Download DWG/DXF/Excel
lnKR cEq Upgrade naar KadastraleKaart Pro
PSi2wXvYFM6xdnZ7Upgrade naar KadastraleKaart Pro
p8amM8cIUpgrade naar KadastraleKaart Pro
rth TGo xkViyUpgrade naar KadastraleKaart Pro
x3ec3SBSUpgrade naar KadastraleKaart Pro
6cX x3pVaqRCPsAyHUpgrade naar KadastraleKaart Pro
6HbrcL UIwL1QtUpgrade naar KadastraleKaart Pro
X Ve18W2G aSox8dEUpgrade naar KadastraleKaart Pro
9C3AesyW8 FbkPy1mZLUpgrade naar KadastraleKaart Pro
98DyVwANd5XPDza hRY3fG7Upgrade naar KadastraleKaart Pro
31/10/2002

Percelen
Gebruik de zoekbalk of klik op een perceel om informatie over het perceel te bekijken.