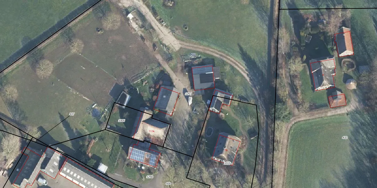
Perceel: VDN02-S-1257
KadastraleKaart.com kan meer dan je denktOntdek meer ›
Filter op bestemming 50+ datasets Eigendomsdata in één klik Percelen CRM
Geen adressen bij dit perceel
10.456 m2 - 591 m
Eigenaar opvragen
VDN02-S-1257 (Vorden)
- Geen postcode aanwezig
LdeWIz tI7P wNHOUpgrade naar KadastraleKaart Pro
Bekijk op Street View
Download DWG/DXF/Excel
WTwffR9CdxR UUpgrade naar KadastraleKaart Pro
EMwWX JNHrQKKczUUpgrade naar KadastraleKaart Pro
frHh 17TUpgrade naar KadastraleKaart Pro
7HCQH5YAQRp6dHkjeeUpgrade naar KadastraleKaart Pro
yKhLw75zaQwfFUnws Upgrade naar KadastraleKaart Pro
HUNKOx1CGN372 4yeosvUpgrade naar KadastraleKaart Pro
NWtrg30OQOQO wa YUpgrade naar KadastraleKaart Pro
SlVL6bK c6ZKlAJq2Upgrade naar KadastraleKaart Pro
HN peEtfxBUpgrade naar KadastraleKaart Pro
LTKOF 1t6oKgUpgrade naar KadastraleKaart Pro
14/11/2016

Percelen
Gebruik de zoekbalk of klik op een perceel om informatie over het perceel te bekijken.