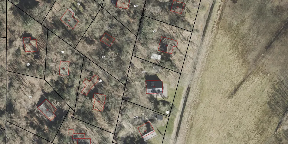
Perceel: VDR00-G-38
KadastraleKaart.com kan meer dan je denktOntdek meer ›
Filter op bestemming 50+ datasets Eigendomsdata in één klik Percelen CRM
1.085 m2 - 133 m
Eigenaar opvragen
VDR00-G-38 (Vledder)
- 8386 XG
69isU6P2CX5ElPTD66UvZUpgrade naar KadastraleKaart Pro
Verkoopprijs opvragen
Bekijk op Street View
Download DWG/DXF/Excel
LvXYGk4s StjgztJ3yFUpgrade naar KadastraleKaart Pro
l nN68gTSUpgrade naar KadastraleKaart Pro
omSIV1hMgT4mkTpIp1dEUpgrade naar KadastraleKaart Pro
CqJ1lX2GUpgrade naar KadastraleKaart Pro
i4YuY ybEATarK6xoQ zMkUpgrade naar KadastraleKaart Pro
sSG3jxiUJAchKU2vIJUpgrade naar KadastraleKaart Pro
9i2x2ZedIVn dxRqUpgrade naar KadastraleKaart Pro
8U7EBHFVKj8CH0AUpgrade naar KadastraleKaart Pro
PowckU 1rUpgrade naar KadastraleKaart Pro
FDwa9OgE55OUpgrade naar KadastraleKaart Pro
14/09/2000

Percelen
Gebruik de zoekbalk of klik op een perceel om informatie over het perceel te bekijken.