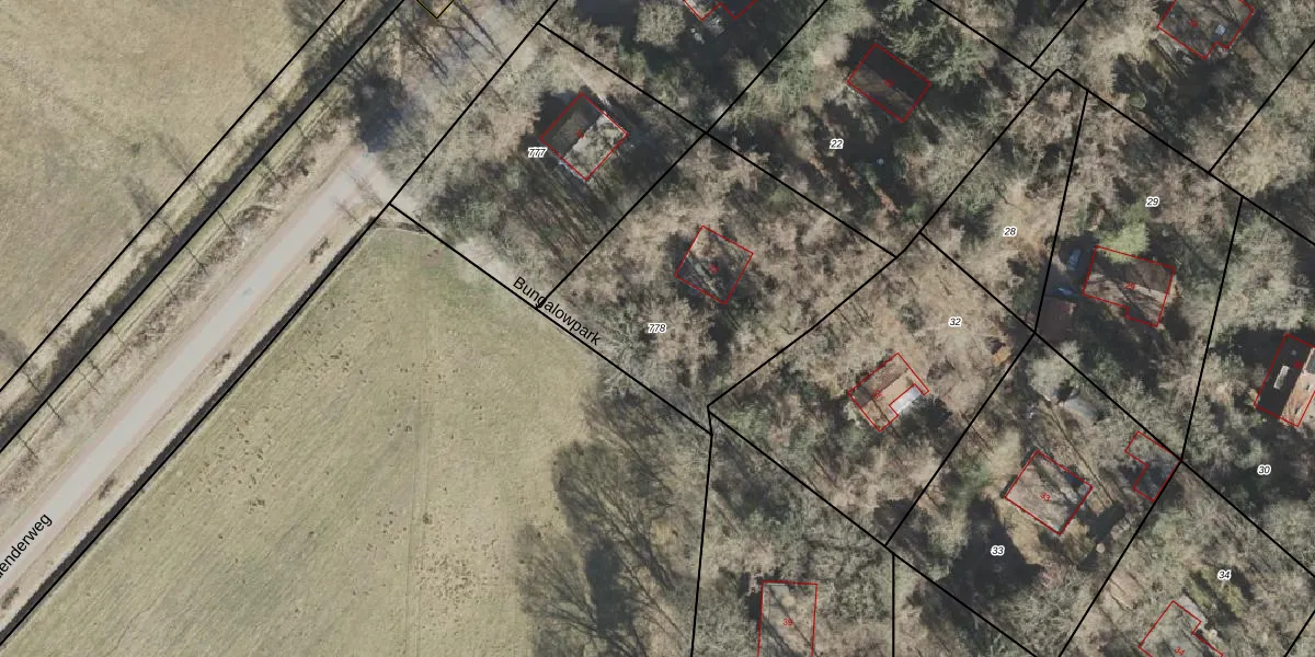
Perceel: VDR00-G-778
KadastraleKaart.com kan meer dan je denktOntdek meer ›
Filter op bestemming 50+ datasets Eigendomsdata in één klik Percelen CRM
1.220 m2 - 146 m
Eigenaar opvragen
VDR00-G-778 (Vledder)
- 8386 XG
TDdMRrBwvPGRiQKgJZUpgrade naar KadastraleKaart Pro
Verkoopprijs opvragen
Bekijk op Street View
Download DWG/DXF/Excel
0bEYOT0jaMC4TWqJt Upgrade naar KadastraleKaart Pro
M1Ys0PY4arosmx6JUpgrade naar KadastraleKaart Pro
kilUe 6YH2JzkYrze7xEUpgrade naar KadastraleKaart Pro
jRu1vb 1cUpgrade naar KadastraleKaart Pro
1BMQj2 vl7K4Iqs nptUpgrade naar KadastraleKaart Pro
b7aEryI8QhJUpgrade naar KadastraleKaart Pro
fEgAzXtNPonC3njZdKdwUpgrade naar KadastraleKaart Pro
9kDL3zlyw gFGeM4gax Upgrade naar KadastraleKaart Pro
ayRvsUsbw0a076x WwE9SUpgrade naar KadastraleKaart Pro
srsR x tdY1l Upgrade naar KadastraleKaart Pro
23/10/2003

Percelen
Gebruik de zoekbalk of klik op een perceel om informatie over het perceel te bekijken.