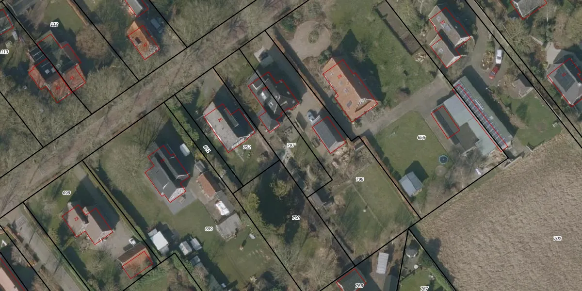
Perceel: VDR00-G-797
630 m2 - 132 m
Eigenaar opvragen
VDR00-G-797 (Vledder)
- 8385 GB
iJX5SgKBHI 8e 4LUpgrade naar KadastraleKaart Pro
Verkoopprijs opvragen
Bekijk op Street View
Download DWG/DXF/Excel
j6YcSq9VUpgrade naar KadastraleKaart Pro
oYe t2sKPkM HUpgrade naar KadastraleKaart Pro
HY 2O2t0g0S8DJNsNUpgrade naar KadastraleKaart Pro
cfgoBPzslLWUpgrade naar KadastraleKaart Pro
fxcPKUk9amU4LzfQiR6ysMUpgrade naar KadastraleKaart Pro
8V9 BiUYjLUpgrade naar KadastraleKaart Pro
q rhQE9DWYNcs eofamodRUpgrade naar KadastraleKaart Pro
3H8iCaUp ZaBMTFtRaHUpgrade naar KadastraleKaart Pro
8gmehCHGfY4Upgrade naar KadastraleKaart Pro
rg QmeYysm9Upgrade naar KadastraleKaart Pro
22/02/2010

Percelen
Gebruik de zoekbalk of klik op een perceel om informatie over het perceel te bekijken.