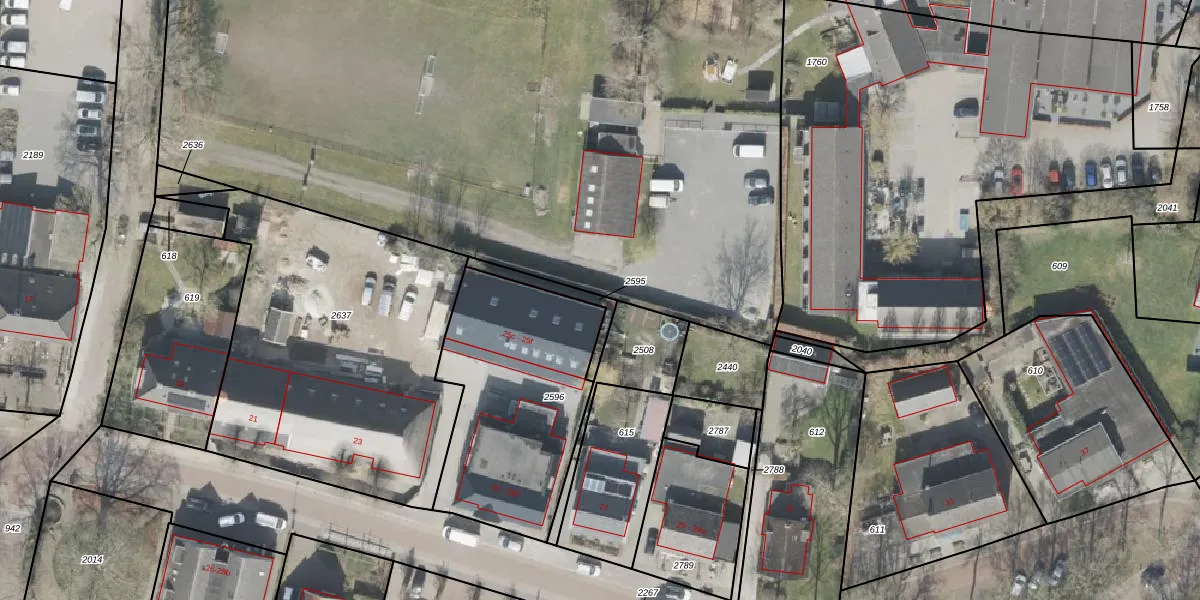
Perceel: VDR00-H-2595
KadastraleKaart.com kan meer dan je denktOntdek meer ›
Filter op bestemming 50+ datasets Eigendomsdata in één klik Percelen CRM
Geen adressen bij dit perceel
63 m2 - 80 m
Eigenaar opvragen
VDR00-H-2595 (Vledder)
- Geen postcode aanwezig
ESx tgyAcqZSVTBq9 D K 18BsUpgrade naar KadastraleKaart Pro
Bekijk op Street View
Download DWG/DXF/Excel
dO2GrdPk9oxCe4yO5Upgrade naar KadastraleKaart Pro
AacjxH xWUpgrade naar KadastraleKaart Pro
ewd jojX Upgrade naar KadastraleKaart Pro
XTVRuuq nqQ23Upgrade naar KadastraleKaart Pro
B zqsTabH2p0vGnUpgrade naar KadastraleKaart Pro
h7 pvN5Y7USxMCtOjcyBZUpgrade naar KadastraleKaart Pro
qxsXcM6 YQeXUpgrade naar KadastraleKaart Pro
k8EgwJ30OixnUpgrade naar KadastraleKaart Pro
sAx2 0V4pPQ2HUpgrade naar KadastraleKaart Pro
1NlRqmFUfUpgrade naar KadastraleKaart Pro
22/01/2019

Percelen
Gebruik de zoekbalk of klik op een perceel om informatie over het perceel te bekijken.