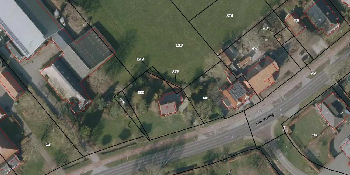
Perceel: VDR00-K-2037
KadastraleKaart.com kan meer dan je denktOntdek meer ›
Filter op bestemming 50+ datasets Eigendomsdata in één klik Percelen CRM
Geen adressen bij dit perceel
22 m2 - 25 m
Eigenaar opvragen
VDR00-K-2037 (Vledder)
- Geen postcode aanwezig
R w7KrnsxHnU5GEUpgrade naar KadastraleKaart Pro
Bekijk op Street View
Download DWG/DXF/Excel
J5 Kb y7lUpgrade naar KadastraleKaart Pro
hT1 BCDg ZXz5vPGY 8e3Upgrade naar KadastraleKaart Pro
zWnQ9F0e PDkOUpgrade naar KadastraleKaart Pro
HekzPuPttu RFJ2HGuZsUpgrade naar KadastraleKaart Pro
a2laOjhxVpP54e6iRCSUpgrade naar KadastraleKaart Pro
SIgn26f7yQFvWzRT4SUpgrade naar KadastraleKaart Pro
1pThFF xY VL3BUpgrade naar KadastraleKaart Pro
usNbu 0N e p YBmPb3uk2GUpgrade naar KadastraleKaart Pro
hlTHmdqZmLInGzOI5CLEUpgrade naar KadastraleKaart Pro
yoLR s0wQ04eS0wF tk 9yDUpgrade naar KadastraleKaart Pro
08/12/2025

Percelen
Gebruik de zoekbalk of klik op een perceel om informatie over het perceel te bekijken.