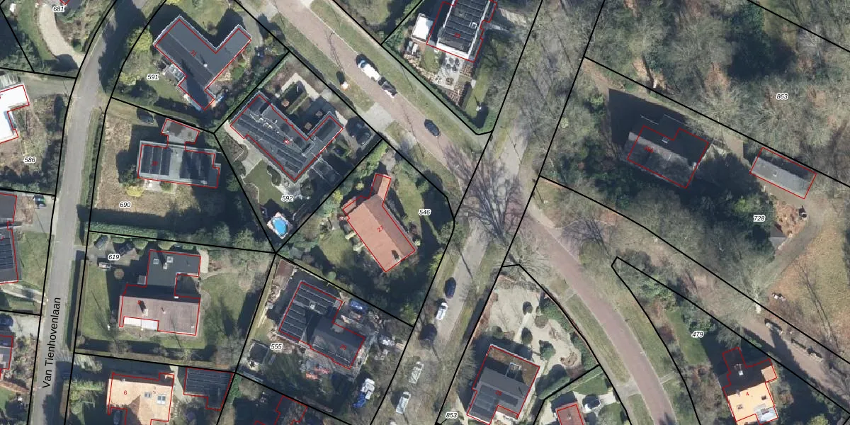
Perceel: VEL01-A-546
KadastraleKaart.com kan meer dan je denktOntdek meer ›
Filter op bestemming 50+ datasets Eigendomsdata in één klik Percelen CRM
995 m2 - 127 m
Eigenaar opvragen
VEL01-A-546 (Velp Gelderland)
- 6881 AP
4kx5kpdSrU pRciec1w2HqwvRAwRqUpgrade naar KadastraleKaart Pro
Bekijk op Street View
Download DWG/DXF/Excel
50Z8cM6pcQyvdo2237lLrEUpgrade naar KadastraleKaart Pro
cqN2M2yDCliwaC l9Upgrade naar KadastraleKaart Pro
gClW8A5xo1W1uH wj pGUpgrade naar KadastraleKaart Pro
KfpzQV9NAVUcGCGUpgrade naar KadastraleKaart Pro
t858ay73uox2G bhZUpgrade naar KadastraleKaart Pro
r9CJiTvsBw PjT5Upgrade naar KadastraleKaart Pro
zjTO96kGBaUpgrade naar KadastraleKaart Pro
53cwH956qNUpgrade naar KadastraleKaart Pro
yDDVfld2lU4RyRUpgrade naar KadastraleKaart Pro
2pmC9wse0LjiRbUpgrade naar KadastraleKaart Pro
17/07/2002

Percelen
Gebruik de zoekbalk of klik op een perceel om informatie over het perceel te bekijken.