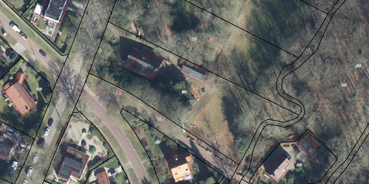
Perceel: VEL01-A-728
KadastraleKaart.com kan meer dan je denktOntdek meer ›
Filter op bestemming 50+ datasets Eigendomsdata in één klik Percelen CRM
3.270 m2 - 289 m
Eigenaar opvragen
VEL01-A-728 (Velp Gelderland)
- 6881 AW
YSJz44 3dOeSV ZOlAw5 Upgrade naar KadastraleKaart Pro
Bekijk op Street View
Download DWG/DXF/Excel
xu n2 zlueX40a Oa L JUpgrade naar KadastraleKaart Pro
PzB5J wFZgwi5QM3OFO3ZJUpgrade naar KadastraleKaart Pro
APOhkCpn2stUpgrade naar KadastraleKaart Pro
XWYt 5HD9mFUpgrade naar KadastraleKaart Pro
ioYIP rq47tigNyNRUpgrade naar KadastraleKaart Pro
iU pW8wus wbEpMtruUpgrade naar KadastraleKaart Pro
LVDz 9xnQF6l6ypAjJbUpgrade naar KadastraleKaart Pro
vuRgEjqJU2KuJ2HFDpsUpgrade naar KadastraleKaart Pro
5ZgGkeLizkRTueS8W69uyZUpgrade naar KadastraleKaart Pro
q O vs hVL6gA0BYJU81 E Upgrade naar KadastraleKaart Pro
19/09/2006

Percelen
Gebruik de zoekbalk of klik op een perceel om informatie over het perceel te bekijken.