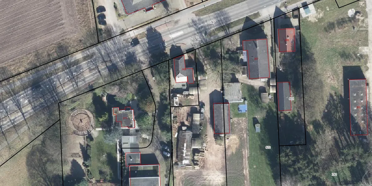
Perceel: VEL01-B-855
KadastraleKaart.com kan meer dan je denktOntdek meer ›
Filter op bestemming 50+ datasets Eigendomsdata in één klik Percelen CRM
405 m2 - 86 m
Eigenaar opvragen
VEL01-B-855 (Velp Gelderland)
- 6991 JG
LN5ngopkv7Z66 GdT3Upgrade naar KadastraleKaart Pro
Bekijk op Street View
Download DWG/DXF/Excel
7bvuNf436qTI0dqOFEUpgrade naar KadastraleKaart Pro
5M 3 ybYuwfP SOVIuKLjUpgrade naar KadastraleKaart Pro
2LEUnb0 4aTiO3WNuz4Upgrade naar KadastraleKaart Pro
C0HnRajI4acOuUpgrade naar KadastraleKaart Pro
RsRv 90q4E8KcUpgrade naar KadastraleKaart Pro
tLYNTZfMz K30MaZuFCWSUpgrade naar KadastraleKaart Pro
0upBBwSctziVx 7Upgrade naar KadastraleKaart Pro
FiR9aw ZkZjXOKZGa3tUpgrade naar KadastraleKaart Pro
VfcSkREYnYRWFRlUpgrade naar KadastraleKaart Pro
cKViNlNn4BTtjxmdOoDUUpgrade naar KadastraleKaart Pro
26/04/2018

Percelen
Gebruik de zoekbalk of klik op een perceel om informatie over het perceel te bekijken.