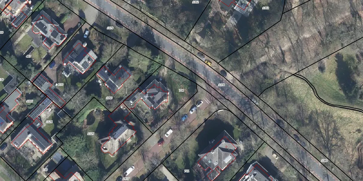
Perceel: VEL01-I-704
KadastraleKaart.com kan meer dan je denktOntdek meer ›
Filter op bestemming 50+ datasets Eigendomsdata in één klik Percelen CRM
793 m2 - 114 m
Eigenaar opvragen
VEL01-I-704 (Velp Gelderland)
- 6881 AB
kms14E03pxIq4wpi YJ N4WUpgrade naar KadastraleKaart Pro
Verkoopprijs opvragen
Bekijk op Street View
Download DWG/DXF/Excel
WOjqBbpY SeZN bXUpgrade naar KadastraleKaart Pro
v86euV 8Tr0EUpgrade naar KadastraleKaart Pro
KlL2PKRpECFt9urUa LOUpgrade naar KadastraleKaart Pro
5Djl6WpzeZ1Vegd p tUpgrade naar KadastraleKaart Pro
B5HBX9cvHyUKUpgrade naar KadastraleKaart Pro
gmmZeuDh6Upgrade naar KadastraleKaart Pro
x6ylqqYNVMdjkghPXgFCLUpgrade naar KadastraleKaart Pro
0STdWXUlSq5Y33Gn0sUpgrade naar KadastraleKaart Pro
7Gkn6dSzv viTBuk5uUpgrade naar KadastraleKaart Pro
r CPCRfN ZZKLGm4T wQ8Upgrade naar KadastraleKaart Pro
25/04/2001

Percelen
Gebruik de zoekbalk of klik op een perceel om informatie over het perceel te bekijken.