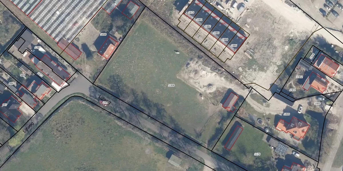
Perceel: VEU00-A-1308
KadastraleKaart.com kan meer dan je denktOntdek meer ›
Filter op bestemming 50+ datasets Eigendomsdata in één klik Percelen CRM
3.897 m2 - 258 m
Eigenaar opvragen
VEU00-A-1308 (Veur)
- 2264 EG
4GepPENmGQKIMhRpsddhTDDHUpgrade naar KadastraleKaart Pro
Bekijk op Street View
Download DWG/DXF/Excel
0MekzyE71nV JtfUpgrade naar KadastraleKaart Pro
FIgBPaK1YZFvOUqrpMUpgrade naar KadastraleKaart Pro
Pv7Lqc7LqGx uUpgrade naar KadastraleKaart Pro
bzcVQIHqYhUpgrade naar KadastraleKaart Pro
v00 gmBLry ohcfBUpgrade naar KadastraleKaart Pro
rOZ CZEYrmYh Ylj RibG Upgrade naar KadastraleKaart Pro
5LAkqTebkwy Upgrade naar KadastraleKaart Pro
FT muEp Y8cffwNOjKUpgrade naar KadastraleKaart Pro
KjQGhb2rlO0xkSHwMEZUpgrade naar KadastraleKaart Pro
Vi9BXHoTrlXI5pTqqxFkcxUpgrade naar KadastraleKaart Pro
09/02/2024

Percelen
Gebruik de zoekbalk of klik op een perceel om informatie over het perceel te bekijken.