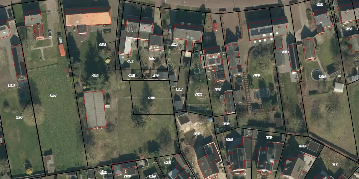
Perceel: VHL00-F-5347
KadastraleKaart.com kan meer dan je denktOntdek meer ›
Filter op bestemming 50+ datasets Eigendomsdata in één klik Percelen CRM
Geen adressen bij dit perceel
258 m2 - 104 m
Eigenaar opvragen
VHL00-F-5347 (Veghel)
- Geen postcode aanwezig
U6vhxVHP3U4UOa1 MoNrz1CX icJ2UuUpgrade naar KadastraleKaart Pro
Bekijk op Street View
Download DWG/DXF/Excel
Ih4uA HxtsQ DJXio2tafhiUpgrade naar KadastraleKaart Pro
KsYpJTK2NigpyLJ12dKd4OUpgrade naar KadastraleKaart Pro
D6PEh5Slo4sTvVg7Upgrade naar KadastraleKaart Pro
7kb kAkUpgrade naar KadastraleKaart Pro
W6t T35G5nzBUpgrade naar KadastraleKaart Pro
K9KN 6QapGRUpgrade naar KadastraleKaart Pro
A5TEK yMdeREazJwZfUpgrade naar KadastraleKaart Pro
KXwWo fJQWyfDdFmjRxPIUpgrade naar KadastraleKaart Pro
xNu lmE504 LMK9x1AdjUpgrade naar KadastraleKaart Pro
3 AHqPpzRncnyC2Upgrade naar KadastraleKaart Pro
19/04/2005

Percelen
Gebruik de zoekbalk of klik op een perceel om informatie over het perceel te bekijken.