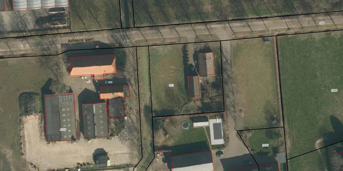
Perceel: VHL00-L-311
KadastraleKaart.com kan meer dan je denktOntdek meer ›
Filter op bestemming 50+ datasets Eigendomsdata in één klik Percelen CRM
1.760 m2 - 167 m
Eigenaar opvragen
VHL00-L-311 (Veghel)
- 5461 LD
P3R btUUTP2hEFFR endDqw9jFUpgrade naar KadastraleKaart Pro
Bekijk op Street View
Download DWG/DXF/Excel
C 37kZPHT dW54Upgrade naar KadastraleKaart Pro
FWn1orscVTnjgSkRTSqiUpgrade naar KadastraleKaart Pro
srUfK7xb0cf5Upgrade naar KadastraleKaart Pro
uka57sIEpAcmfo4XUpgrade naar KadastraleKaart Pro
t jqRRhyNo7UI i7ucv2rUpgrade naar KadastraleKaart Pro
nb06goctqu55k96O817YnUpgrade naar KadastraleKaart Pro
a2OrGTDluCjCv13CmchZH96Upgrade naar KadastraleKaart Pro
3WM9dzDeeUpgrade naar KadastraleKaart Pro
UY25bfYOevLiGMJcnQSbr cUpgrade naar KadastraleKaart Pro
tIpFHyKZbRi9NpGziQsKGAPUpgrade naar KadastraleKaart Pro
14/04/2005

Percelen
Gebruik de zoekbalk of klik op een perceel om informatie over het perceel te bekijken.