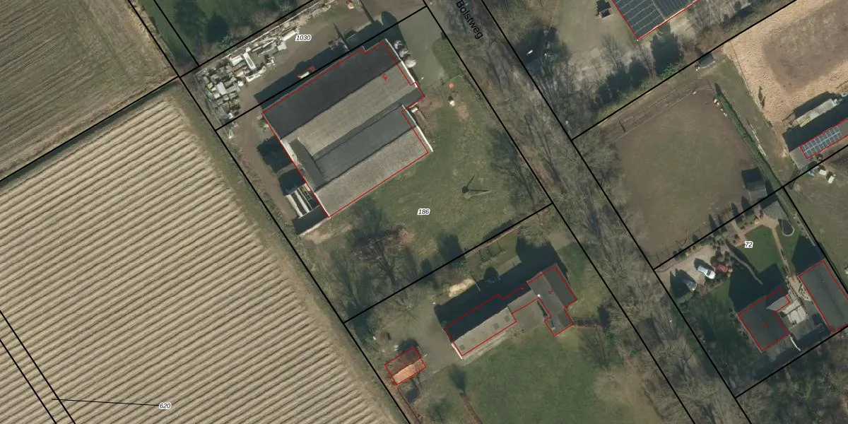
Perceel: VHL00-N-186
KadastraleKaart.com kan meer dan je denktOntdek meer ›
Filter op bestemming 50+ datasets Eigendomsdata in één klik Percelen CRM
3.170 m2 - 225 m
Eigenaar opvragen
VHL00-N-186 (Veghel)
- 5464 TC
fgLQ03JBu jERHfk XF9 35WO7Upgrade naar KadastraleKaart Pro
Bekijk op Street View
Download DWG/DXF/Excel
RyubZV33ppTV1qHi5Upgrade naar KadastraleKaart Pro
jmbuQ6ggpbmSGJ5HLrY9Upgrade naar KadastraleKaart Pro
yhDHNCKKEFvsb0lQq9d W0Upgrade naar KadastraleKaart Pro
r8IskySlcjeIa0QTMUpgrade naar KadastraleKaart Pro
tFVAie0uzV JUpgrade naar KadastraleKaart Pro
Vcy6UtrUFy9ex 4Ff5D25GUpgrade naar KadastraleKaart Pro
lWn9y xlw9pnyAUpgrade naar KadastraleKaart Pro
m96O j7tcbDzh5K48tTSSUpgrade naar KadastraleKaart Pro
rbWvt6FbUmz qGn0dQU96Upgrade naar KadastraleKaart Pro
EDOJGYdToUpgrade naar KadastraleKaart Pro
08/06/2009

Percelen
Gebruik de zoekbalk of klik op een perceel om informatie over het perceel te bekijken.