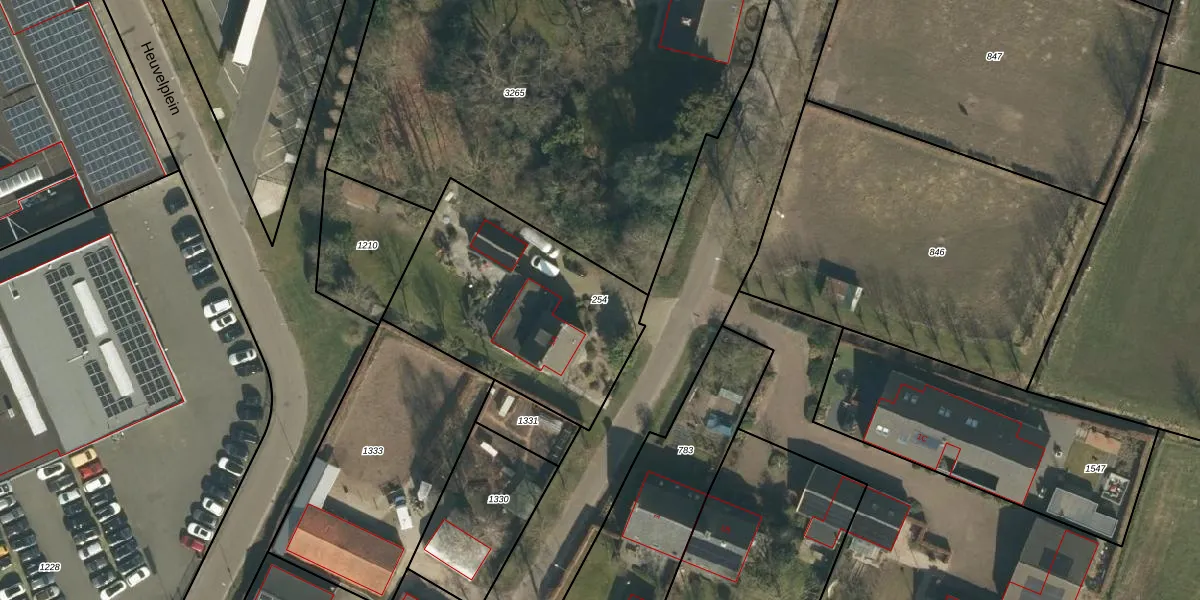
Perceel: VHL00-N-254
KadastraleKaart.com kan meer dan je denktOntdek meer ›
Filter op bestemming 50+ datasets Eigendomsdata in één klik Percelen CRM
990 m2 - 130 m
Eigenaar opvragen
VHL00-N-254 (Veghel)
- 5463 XH
UousJUFfL G9xzSVAgLRYJwb07y1DlUpgrade naar KadastraleKaart Pro
Verkoopprijs opvragen
Bekijk op Street View
Download DWG/DXF/Excel
IMuGNQMvT54MT4xBIoZoUpgrade naar KadastraleKaart Pro
6t JUZ3QW5EbE Ih53XP7rUpgrade naar KadastraleKaart Pro
FjVSrE1I22iD2tpewsdlLnUpgrade naar KadastraleKaart Pro
11tfaooNVEmmemWBiOeQUpgrade naar KadastraleKaart Pro
KU0H5aXe7bsgw7PaRUpgrade naar KadastraleKaart Pro
Az8hqQ3 l Upgrade naar KadastraleKaart Pro
OmhUZ9uy3uwGEIs7z8qYUpgrade naar KadastraleKaart Pro
Mj 2I tqoUpgrade naar KadastraleKaart Pro
1ZvnxhkmSoYJrkuqkFUpgrade naar KadastraleKaart Pro
kUmgi QygnDjl7gnh xUpgrade naar KadastraleKaart Pro
25/10/2007

Percelen
Gebruik de zoekbalk of klik op een perceel om informatie over het perceel te bekijken.