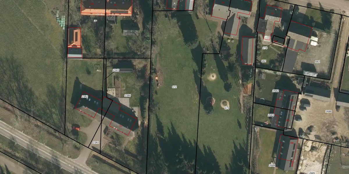
Perceel: VHL00-N-672
KadastraleKaart.com kan meer dan je denktOntdek meer ›
Filter op bestemming 50+ datasets Eigendomsdata in één klik Percelen CRM
3.500 m2 - 326 m
Eigenaar opvragen
VHL00-N-672 (Veghel)
- 5463 XC
L D YE RNO5dHGAY10atFdAo Upgrade naar KadastraleKaart Pro
Bekijk op Street View
Download DWG/DXF/Excel
OFeAxExjdMUpgrade naar KadastraleKaart Pro
Z k9dETYIUpgrade naar KadastraleKaart Pro
u2yx8MvFV12EUpgrade naar KadastraleKaart Pro
I nXgpSuJelMyy SKyXXDNUpgrade naar KadastraleKaart Pro
A3ZgTyzK4 4h rJjecQ2nuUpgrade naar KadastraleKaart Pro
G2yAWvdL KUpgrade naar KadastraleKaart Pro
B 9uzyXbiUpgrade naar KadastraleKaart Pro
y3PRot8aI11A2fFoG Upgrade naar KadastraleKaart Pro
z xdpeTQwhsKefjUpgrade naar KadastraleKaart Pro
55Gn uVO0oz Upgrade naar KadastraleKaart Pro
28/07/2015

Percelen
Gebruik de zoekbalk of klik op een perceel om informatie over het perceel te bekijken.