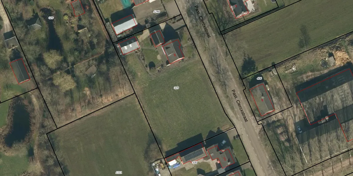
Perceel: VHL00-P-329
KadastraleKaart.com kan meer dan je denktOntdek meer ›
Filter op bestemming 50+ datasets Eigendomsdata in één klik Percelen CRM
3.015 m2 - 229 m
Eigenaar opvragen
VHL00-P-329 (Veghel)
- 5465 RG
YgmjIz RMQqmJwrq1I7Zd7lI sdS7Upgrade naar KadastraleKaart Pro
Verkoopprijs opvragen
Bekijk op Street View
Download DWG/DXF/Excel
cMQkZj OaJxgUpgrade naar KadastraleKaart Pro
uM2phES wdUpgrade naar KadastraleKaart Pro
IN KVLo0lUpgrade naar KadastraleKaart Pro
0q3D9cV5ARvYsVN3xUpgrade naar KadastraleKaart Pro
AnI5 lvdWnwyaZuW4VI SbzUpgrade naar KadastraleKaart Pro
ws0PKjoYOSeUpgrade naar KadastraleKaart Pro
NuzAIN9YSeG Upgrade naar KadastraleKaart Pro
gYlB6drc8Upgrade naar KadastraleKaart Pro
AMi CrOXu 5 WQjUpgrade naar KadastraleKaart Pro
KDaYXXRcMpwuUSfUpgrade naar KadastraleKaart Pro
08/11/2007

Percelen
Gebruik de zoekbalk of klik op een perceel om informatie over het perceel te bekijken.