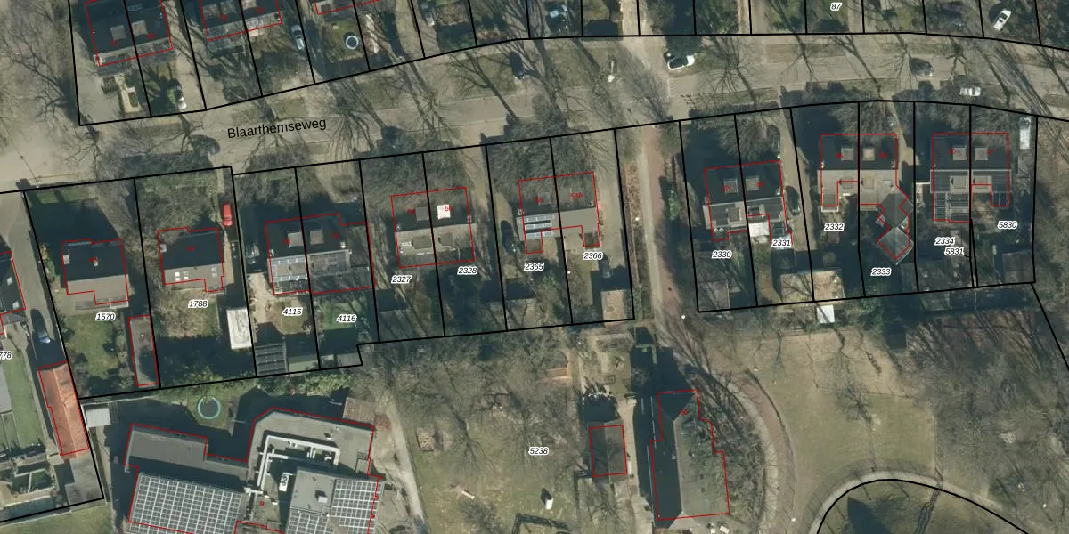
Perceel: VHV01-D-2365
KadastraleKaart.com kan meer dan je denktOntdek meer ›
Filter op bestemming 50+ datasets Eigendomsdata in één klik Percelen CRM
427 m2 - 95 m
Eigenaar opvragen
VHV01-D-2365 (Veldhoven)
- 5502 JW
Y5AEUP DvTHhLWaCILUpgrade naar KadastraleKaart Pro
Verkoopprijs opvragen
Bekijk op Street View
Download DWG/DXF/Excel
LQfW5 B0Yv Upgrade naar KadastraleKaart Pro
2Gsrbv duvY bKQWlqSFCtUpgrade naar KadastraleKaart Pro
Eq5hL4mwlLYNe L1FHUpgrade naar KadastraleKaart Pro
BJpm IdJ2nFUpgrade naar KadastraleKaart Pro
cUAZSTDe2Upgrade naar KadastraleKaart Pro
Km oyzHaTuAUpgrade naar KadastraleKaart Pro
rUBIuBRhPXXp94XmUpgrade naar KadastraleKaart Pro
xmHWrzBtfm7FTtLUpgrade naar KadastraleKaart Pro
x2hkuF gkUpgrade naar KadastraleKaart Pro
UdXSy5H5GXvBiyNHd6XQAUpgrade naar KadastraleKaart Pro
23/03/2011

Percelen
Gebruik de zoekbalk of klik op een perceel om informatie over het perceel te bekijken.