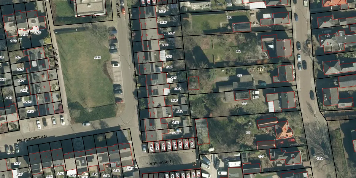
Perceel: VHV01-D-2442
KadastraleKaart.com kan meer dan je denktOntdek meer ›
Filter op bestemming 50+ datasets Eigendomsdata in één klik Percelen CRM
182 m2 - 70 m
Eigenaar opvragen
VHV01-D-2442 (Veldhoven)
- 5503 CE
5ubTB3dyMI2Z0A95sVXJ9UU0r7RFUpgrade naar KadastraleKaart Pro
Verkoopprijs opvragen
Bekijk op Street View
Download DWG/DXF/Excel
yFldrkQtTfPY k XRxzciUpgrade naar KadastraleKaart Pro
UY S9nW u8SUpgrade naar KadastraleKaart Pro
IgcZ1sLN1Wa8TezUpgrade naar KadastraleKaart Pro
MctziQ7 jMcpRzzKcUpgrade naar KadastraleKaart Pro
WIcaeq6qSyKRUpgrade naar KadastraleKaart Pro
WMfCjjvMIpH5oSmplk29eUpgrade naar KadastraleKaart Pro
e ngWtCd2pn9h0zffSvUpgrade naar KadastraleKaart Pro
tB6r1zWKNz28uo4qlcR0XkEUpgrade naar KadastraleKaart Pro
TVRBsTgFPxrKJUpgrade naar KadastraleKaart Pro
n uUN64yrL70BBrqUpgrade naar KadastraleKaart Pro
08/01/2009

Percelen
Gebruik de zoekbalk of klik op een perceel om informatie over het perceel te bekijken.