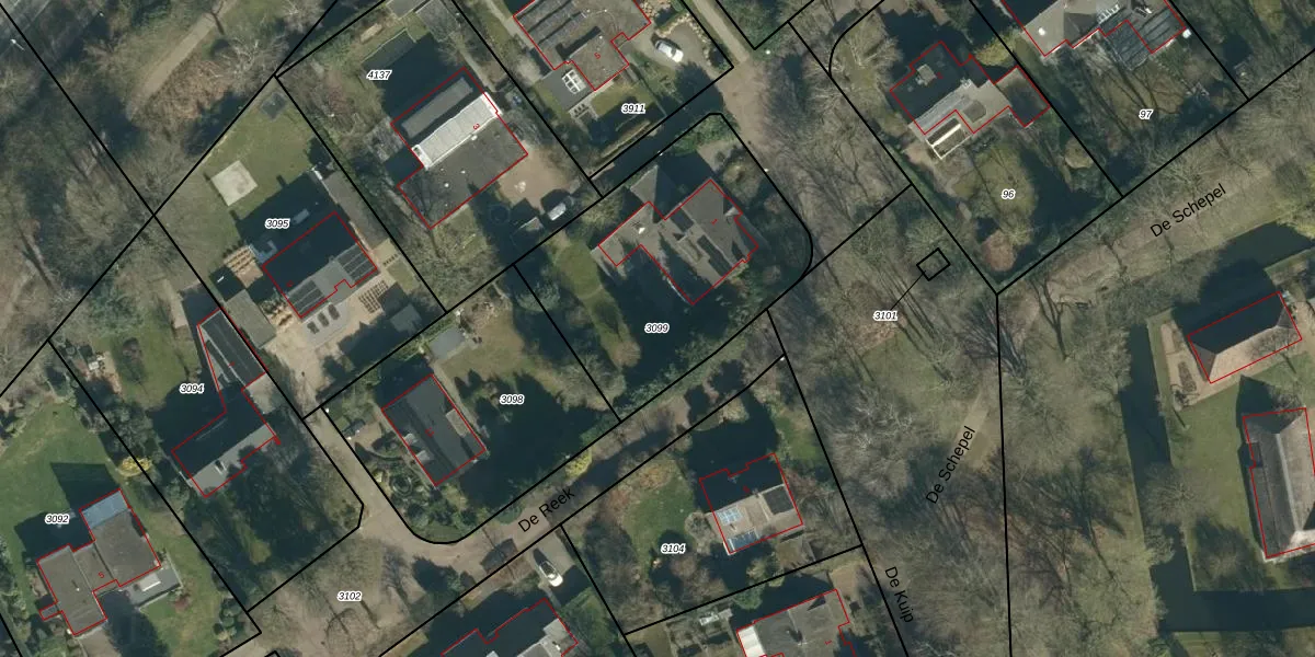
Perceel: VHV01-D-3099
KadastraleKaart.com kan meer dan je denktOntdek meer ›
Filter op bestemming 50+ datasets Eigendomsdata in één klik Percelen CRM
1.133 m2 - 133 m
Eigenaar opvragen
VHV01-D-3099 (Veldhoven)
- 5502 HW
GnUv EUkoUSrYnNwUpgrade naar KadastraleKaart Pro
Verkoopprijs opvragen
Bekijk op Street View
Download DWG/DXF/Excel
2Hhmzr6RGIGGD0YUpgrade naar KadastraleKaart Pro
UMA HYqQvuAiUpgrade naar KadastraleKaart Pro
DOy0r0WAnpe5fsGhRprUpgrade naar KadastraleKaart Pro
rFf4Awk4 WJ 0sr7Upgrade naar KadastraleKaart Pro
WA1aAZlHGu77HVUpgrade naar KadastraleKaart Pro
cT8CLHOJ pk7YBRFC0BUpgrade naar KadastraleKaart Pro
4W4boOaCyksZUpgrade naar KadastraleKaart Pro
ljnp7ID8IZ4Mg5LS7JTUpgrade naar KadastraleKaart Pro
jCNdSKUfEGmXFXWUpgrade naar KadastraleKaart Pro
aFowvq06zT3 iDgmMUpgrade naar KadastraleKaart Pro
11/06/2012

Percelen
Gebruik de zoekbalk of klik op een perceel om informatie over het perceel te bekijken.