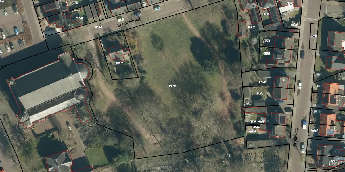
Perceel
Oppervlakte
6.079 m²
Aantal adressen
Geen adressen
Aanduiding
VHV01-D-5062 - Veldhoven
Verkocht in
Onbekend
Eigendom
Eigenaar
Eigenaar opvragen
Type eigenaar
Id wkml5oN0NbD9MNhKE8n TdRUpgrade naar KadastraleKaart Pro
Appartementsrechten
Identificatie
6qUZFF8 qA6zJ9PmUpgrade naar KadastraleKaart Pro
Gerelateerde percelen
Aanduiding
rpCnOhYy5aXvHYnUpgrade naar KadastraleKaart Pro
Ligging
Meer functies

Percelen
Gebruik de zoekbalk of klik op een perceel om informatie over het perceel te bekijken.