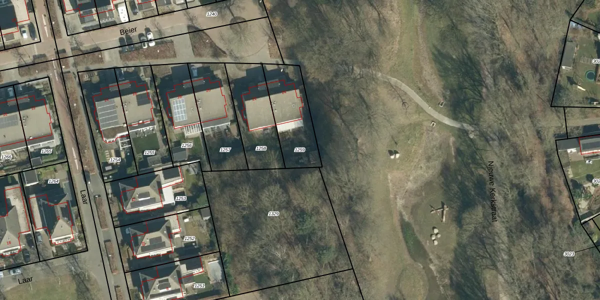
Perceel: VHV01-H-1259
KadastraleKaart.com kan meer dan je denktOntdek meer ›
Filter op bestemming 50+ datasets Eigendomsdata in één klik Percelen CRM
427 m2 - 95 m
Eigenaar opvragen
VHV01-H-1259 (Veldhoven)
- 5507 MA
l7BVnRLdnsRalTz jAqrLfUpgrade naar KadastraleKaart Pro
Verkoopprijs opvragen
Bekijk op Street View
Download DWG/DXF/Excel
E bslxOe Pn 5j9fEygaSHUpgrade naar KadastraleKaart Pro
hu6AwkrwGUpgrade naar KadastraleKaart Pro
j acL8F FUpgrade naar KadastraleKaart Pro
gpcFuj 7VrKpIt14lZAvPo2Upgrade naar KadastraleKaart Pro
0V6UFVU 8O daUqYaKblRUpgrade naar KadastraleKaart Pro
wg9CZpkLIHd Da ILBdiUpgrade naar KadastraleKaart Pro
kuOdAb7IqYOPhepGym2cCdUpgrade naar KadastraleKaart Pro
wXl4wwZL9NPyr6eKjW6aUpgrade naar KadastraleKaart Pro
Z4LrA6V2 Upgrade naar KadastraleKaart Pro
7w4q5gKb l1bqCh6a O2Upgrade naar KadastraleKaart Pro
15/11/2011

Percelen
Gebruik de zoekbalk of klik op een perceel om informatie over het perceel te bekijken.