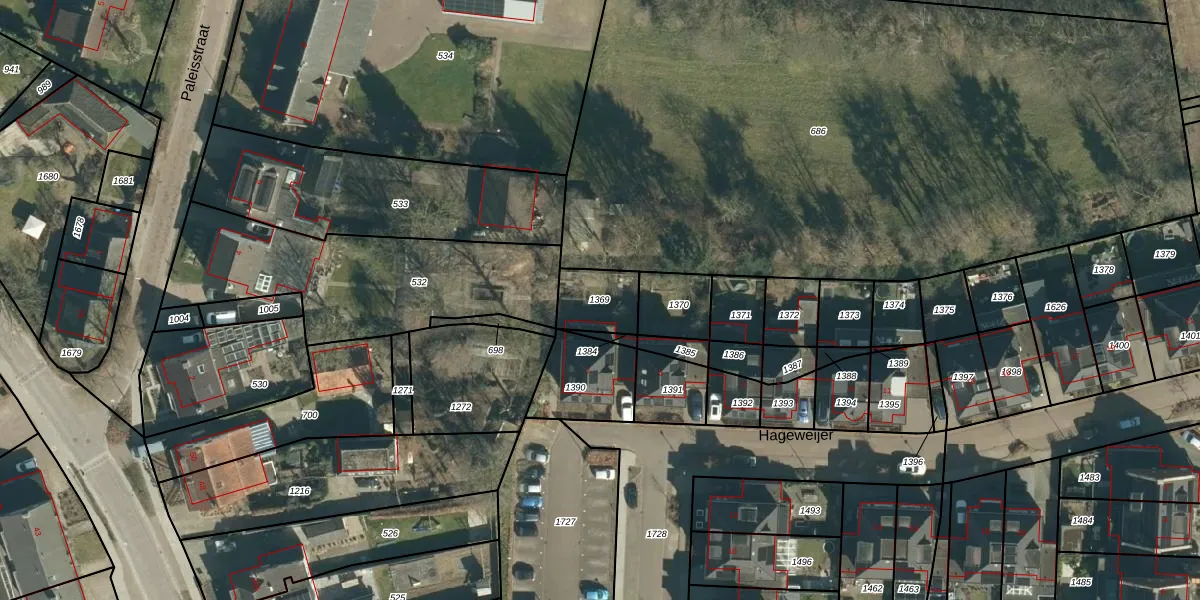
Perceel: VHV01-H-1369
KadastraleKaart.com kan meer dan je denktOntdek meer ›
Filter op bestemming 50+ datasets Eigendomsdata in één klik Percelen CRM
Geen adressen bij dit perceel
139 m2 - 48 m
Eigenaar opvragen
VHV01-H-1369 (Veldhoven)
- Geen postcode aanwezig
DnPUAq h00X2Ywf5upVJUpgrade naar KadastraleKaart Pro
Bekijk op Street View
Download DWG/DXF/Excel
lZiwG3Pl0Upgrade naar KadastraleKaart Pro
Og6kYicVMiTYfb SfNUpgrade naar KadastraleKaart Pro
0muS7fSwk t fZzBFSXFbnUpgrade naar KadastraleKaart Pro
2vdC2LF oDYjdnUpgrade naar KadastraleKaart Pro
2qKi5 UO lDrA5mO J Upgrade naar KadastraleKaart Pro
07PcXej4Upgrade naar KadastraleKaart Pro
v4Y vdFEB TUpgrade naar KadastraleKaart Pro
5o n1ag2kyF OcCsTUpgrade naar KadastraleKaart Pro
YKJuvoFGP8oBtYRGUpgrade naar KadastraleKaart Pro
VgB 8NDYALuvqy4JC uUpgrade naar KadastraleKaart Pro
19/12/2018

Percelen
Gebruik de zoekbalk of klik op een perceel om informatie over het perceel te bekijken.