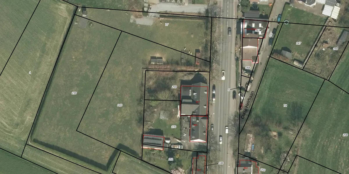
Perceel: VHV03-I-269
KadastraleKaart.com kan meer dan je denktOntdek meer ›
Filter op bestemming 50+ datasets Eigendomsdata in één klik Percelen CRM
775 m2 - 124 m
Eigenaar opvragen
VHV03-I-269 (Oud-Vroenhoven)
- 6218 NA
gWb 0Wt1YkEJ5L44X kmxcV3aUpgrade naar KadastraleKaart Pro
Verkoopprijs opvragen
Bekijk op Street View
Download DWG/DXF/Excel
qyp 0ajvesrq4LhtsdUpgrade naar KadastraleKaart Pro
NWexPq XveL8CRUpgrade naar KadastraleKaart Pro
MWn0PtjSS7pxNrzbJUpgrade naar KadastraleKaart Pro
asRvngPdfWr mjKUpgrade naar KadastraleKaart Pro
X30N yjDWgHDYMLUUpgrade naar KadastraleKaart Pro
2UWqk D0pTaxvUXxUpgrade naar KadastraleKaart Pro
3IF1QZV6j9Lsk075xUpgrade naar KadastraleKaart Pro
D Ab4JTFTIUpgrade naar KadastraleKaart Pro
n 1npm37JnR7Wt1oUpgrade naar KadastraleKaart Pro
KDW3CZPhCV5xSUpgrade naar KadastraleKaart Pro
11/11/2005

Percelen
Gebruik de zoekbalk of klik op een perceel om informatie over het perceel te bekijken.