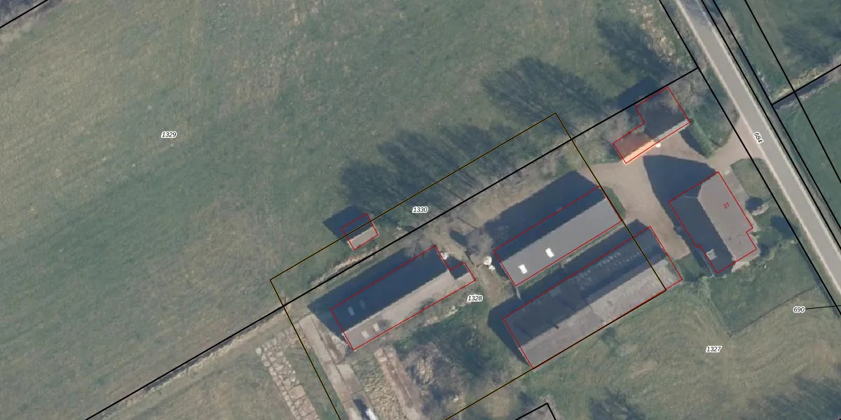
Perceel: VHZ02-B-1330
Geen adressen bij dit perceel
542 m2 - 172 m
Eigenaar opvragen
VHZ02-B-1330 (Voorthuizen)
- Geen postcode aanwezig
KEXhsammWs4yic72Upgrade naar KadastraleKaart Pro
Bekijk op Street View
Download DWG/DXF/Excel
2HZS uawZ2ZVowo0HG1SUpgrade naar KadastraleKaart Pro
cr6krO1LpkH uC Upgrade naar KadastraleKaart Pro
0S5NBrjgFa0nM1TMf QkUpgrade naar KadastraleKaart Pro
C3UadVC6CPlo e0Qe 0PUpgrade naar KadastraleKaart Pro
ew4VD iT SBDEiuhBQEP1NiUpgrade naar KadastraleKaart Pro
fBS kIDfiRgUGn7MUpgrade naar KadastraleKaart Pro
P2V cowYZm11Y1t4OQ Upgrade naar KadastraleKaart Pro
Rkv0G DHfUpgrade naar KadastraleKaart Pro
CN TT asnkvj45lt6Upgrade naar KadastraleKaart Pro
6blaT taUpgrade naar KadastraleKaart Pro
13/01/2026

Percelen
Gebruik de zoekbalk of klik op een perceel om informatie over het perceel te bekijken.