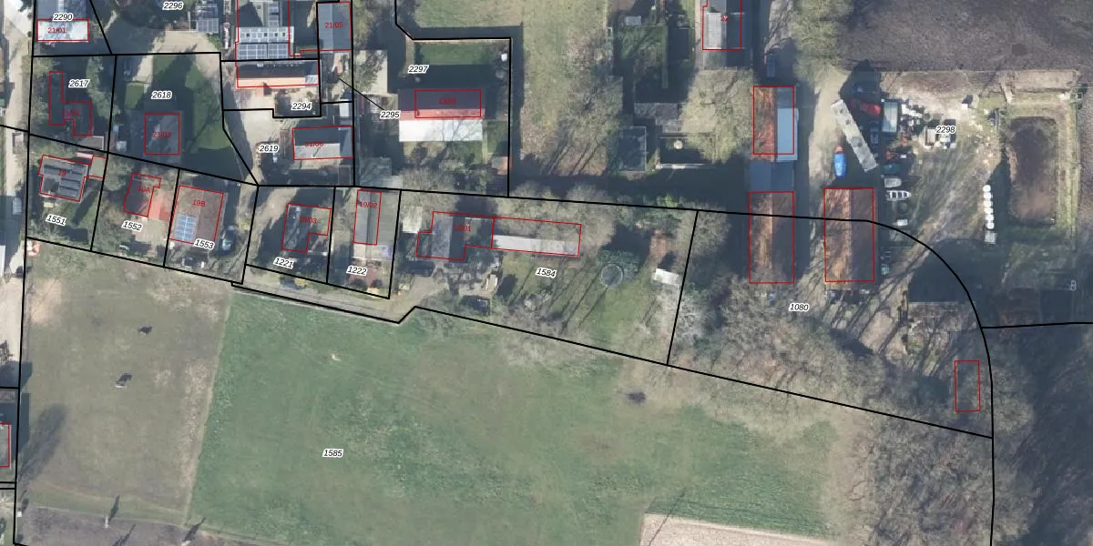
Perceel: VHZ02-E-1584
KadastraleKaart.com kan meer dan je denktOntdek meer ›
Filter op bestemming 50+ datasets Eigendomsdata in één klik Percelen CRM
1.480 m2 - 220 m
Eigenaar opvragen
VHZ02-E-1584 (Voorthuizen)
- 3781 NR
Qr MptNzZJD8NkktaMQdeEOF9NCUpgrade naar KadastraleKaart Pro
Verkoopprijs opvragen
Bekijk op Street View
Download DWG/DXF/Excel
Z bxkUAzJS85FhUpgrade naar KadastraleKaart Pro
QQoqj r KEUpgrade naar KadastraleKaart Pro
qr 9D3y MceNg0h 8lUpgrade naar KadastraleKaart Pro
SEjGnhvS3NVUpgrade naar KadastraleKaart Pro
42T28 zT8qqEmUpgrade naar KadastraleKaart Pro
Aw0 MLH2C8b5LMmwwUpgrade naar KadastraleKaart Pro
JCcIEGYbeuSjrsPqZnS 5 cUpgrade naar KadastraleKaart Pro
QIdPRFcdSmJ7H1SKAUpgrade naar KadastraleKaart Pro
SlMaU1yP7BcmKkDaWgb Upgrade naar KadastraleKaart Pro
hsm0Ds7XnVXv4y8Upgrade naar KadastraleKaart Pro
07/08/2020

Percelen
Gebruik de zoekbalk of klik op een perceel om informatie over het perceel te bekijken.