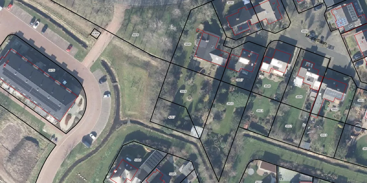
Perceel
Oppervlakte
664 m²
Aantal adressen
Geen adressen
Aanduiding
VHZ02-G-3909 - Voorthuizen
Verkocht in
Onbekend
Eigendom
Eigenaar
Eigenaar opvragen
Type eigenaar
W3I5NTxv AvoiWOtOVA X80afUpgrade naar KadastraleKaart Pro
Appartementsrechten
Identificatie
XiM R0LBG9ZdJUpgrade naar KadastraleKaart Pro
Gerelateerde percelen
Aanduiding
lwY28dZu1ZWO088LBwXlUJEIUpgrade naar KadastraleKaart Pro
Ligging
Meer functies

Percelen
Gebruik de zoekbalk of klik op een perceel om informatie over het perceel te bekijken.