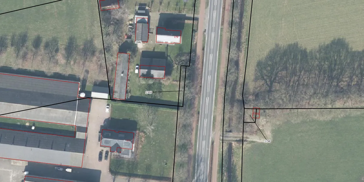
Perceel: VHZ02-H-2359
KadastraleKaart.com kan meer dan je denktOntdek meer ›
Filter op bestemming 50+ datasets Eigendomsdata in één klik Percelen CRM
Geen adressen bij dit perceel
63 m2 - 50 m
Eigenaar opvragen
VHZ02-H-2359 (Voorthuizen)
- Geen postcode aanwezig
yXB8JgLXO85uurEzAKKunDQu DL uUpgrade naar KadastraleKaart Pro
Bekijk op Street View
Download DWG/DXF/Excel
regnNF J QLhc DM7rtyUpgrade naar KadastraleKaart Pro
8HORD7RFMUpgrade naar KadastraleKaart Pro
RMH1a DowRUau ABL zDmhUpgrade naar KadastraleKaart Pro
n VcMXGHpUpgrade naar KadastraleKaart Pro
d1mWns2QVMUpgrade naar KadastraleKaart Pro
f7llwL9oS7G9gJuuSXf8C0 Upgrade naar KadastraleKaart Pro
DsPuE87LDUNfDUpgrade naar KadastraleKaart Pro
TBnRLIhQI1n0 Upgrade naar KadastraleKaart Pro
6BN S4 VQJxNYUpgrade naar KadastraleKaart Pro
gcy LEs Upgrade naar KadastraleKaart Pro
23/06/2004

Percelen
Gebruik de zoekbalk of klik op een perceel om informatie over het perceel te bekijken.