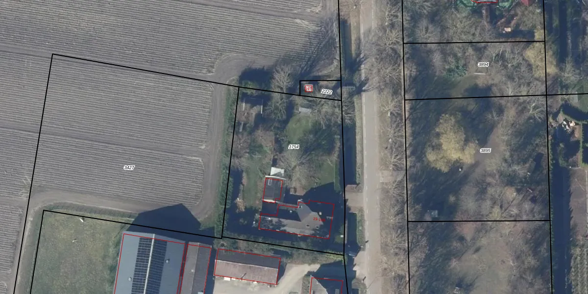
Perceel: VHZ03-G-1754
KadastraleKaart.com kan meer dan je denktOntdek meer ›
Filter op bestemming 50+ datasets Eigendomsdata in één klik Percelen CRM
1.970 m2 - 181 m
Eigenaar opvragen
VHZ03-G-1754 (Venhuizen)
- 1607 HM
kGhPsVaZEv WOuhdUYDSt 2y9NSb3Upgrade naar KadastraleKaart Pro
Verkoopprijs opvragen
Bekijk op Street View
Download DWG/DXF/Excel
aRDx8HvxdGUpgrade naar KadastraleKaart Pro
tNcS sDAulGUpgrade naar KadastraleKaart Pro
wwlyrjh t1uaQOM tKsV8Upgrade naar KadastraleKaart Pro
JIDxKCdtpLUpgrade naar KadastraleKaart Pro
1nIgtrkHWOaF yTFtWUpgrade naar KadastraleKaart Pro
w4Ih0V8qSxzPGDzvkZ0jUpgrade naar KadastraleKaart Pro
n6 UGIf15qkD1EK3Fze2Upgrade naar KadastraleKaart Pro
ZzKx81sF naQUpgrade naar KadastraleKaart Pro
7c87UME1snmegUpgrade naar KadastraleKaart Pro
KrfIHfSOut Upgrade naar KadastraleKaart Pro
18/01/2011

Percelen
Gebruik de zoekbalk of klik op een perceel om informatie over het perceel te bekijken.