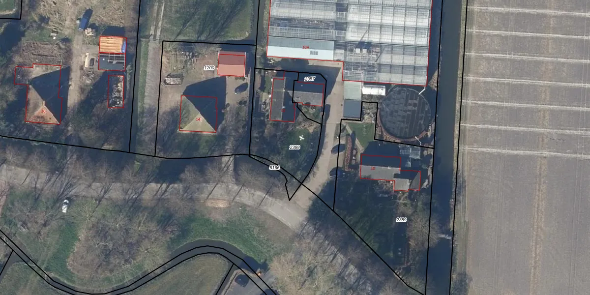
Perceel: VHZ03-G-2388

Adres bij perceel

Geen adressen bij dit perceel

Perceeloppervlakte & perceelomtrek

615 m2 - 112 m

Eigenaar van het perceel

Eigenaar opvragen

Kadastrale aanduiding

VHZ03-G-2388 (Venhuizen)

Postcode in perceel

    Geen postcode aanwezig

Type eigenaar

WGvzRjk o rlpvgNFiUpgrade naar KadastraleKaart Pro

Google Street View

Bekijk op Street View

Download

Download DWG/DXF/Excel

Gerelateerde percelen

aGnpyZnn fRakhSJkgXdUpgrade naar KadastraleKaart Pro

Bebouwd/onbebouwd/water/groen

OJ22PdADGlUpgrade naar KadastraleKaart Pro
Administratieve eenheden
i BrmDnkxG3bJG8Upgrade naar KadastraleKaart Pro

Appartementsrechten

yhPh4 Eyhm8eZVyLUpgrade naar KadastraleKaart Pro

Vergunningverlenende instanties

kxi 7phsuETTlK8w1szJAUpgrade naar KadastraleKaart Pro

Bedekking (BGT)

bmDxGO1AnKVn Upgrade naar KadastraleKaart Pro

Publiekrechtelijke beperkingen

0XswssC2EGuClL2LUZ9Upgrade naar KadastraleKaart Pro

Grensnauwkeurigheid

q3V0nozlKbZUpgrade naar KadastraleKaart Pro

Coördinaten hoekpunten perceel

z dYK DiO7BOri 1gh LrLCUpgrade naar KadastraleKaart Pro

Hoogteligging

DULbfwthznWpsUpgrade naar KadastraleKaart Pro

Laatst gewijzigd

05/10/2010

Kadastrale kaart met maatvoering 59,95
Kadastrale kaart pakket 28,95

Percelen

Gebruik de zoekbalk of klik op een perceel om informatie over het perceel te bekijken.
Locatie
Meten
Lagen
Download