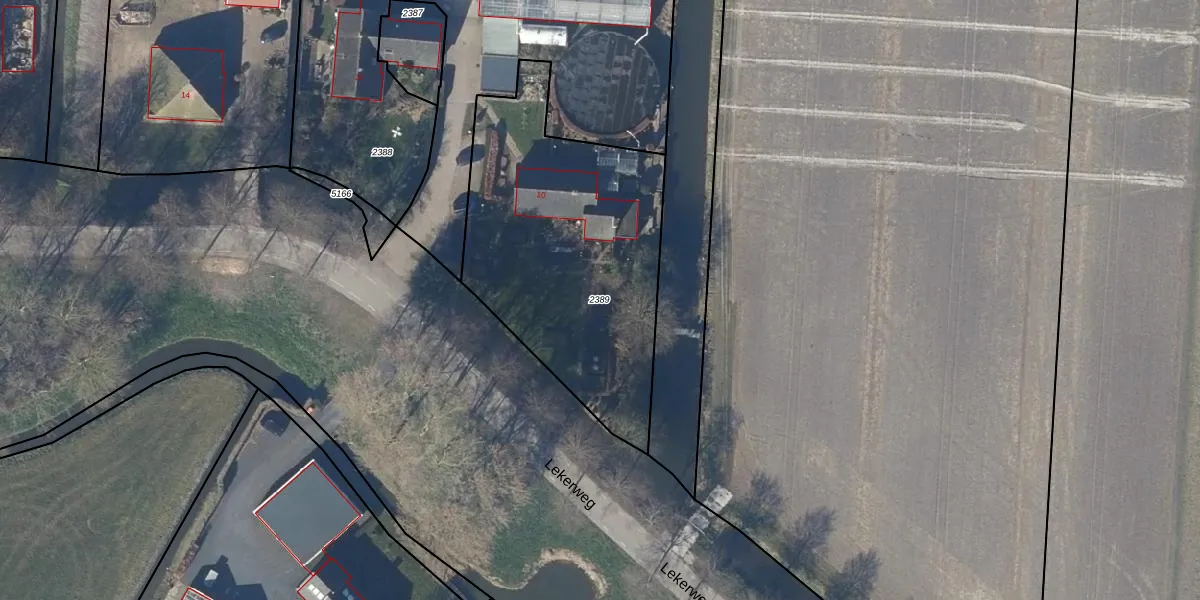
Perceel: VHZ03-G-2389

Adres bij perceel

Perceeloppervlakte & perceelomtrek

1.330 m2 - 175 m

Eigenaar van het perceel

Eigenaar opvragen

Kadastrale aanduiding

VHZ03-G-2389 (Venhuizen)

Postcode in perceel

    1609 GE

Type eigenaar

5OwI5fOC NeFX 3QreXKOx1Z1A dQyUpgrade naar KadastraleKaart Pro

Google Street View

Bekijk op Street View

Download

Download DWG/DXF/Excel

Gerelateerde percelen

xOriTQhv8hdIlvnmclUpgrade naar KadastraleKaart Pro

Bebouwd/onbebouwd/water/groen

7n CLThUpgrade naar KadastraleKaart Pro
Administratieve eenheden
I i0ZmwJaDCL1OCXUpgrade naar KadastraleKaart Pro

Appartementsrechten

w6cskbuG wyFlsc3gXH3 UUpgrade naar KadastraleKaart Pro

Vergunningverlenende instanties

x8F0aP65jG2JM UzV3kPdUpgrade naar KadastraleKaart Pro

Bedekking (BGT)

3gpP0q16boeDFN2FJDqrdUpgrade naar KadastraleKaart Pro

Publiekrechtelijke beperkingen

OhkB 16bVYzUpgrade naar KadastraleKaart Pro

Grensnauwkeurigheid

09iWHfyQIOUpgrade naar KadastraleKaart Pro

Coördinaten hoekpunten perceel

9 0AnakVIvCTcgPt7VisfhUpgrade naar KadastraleKaart Pro

Hoogteligging

TRRVuIA 16gij uUpgrade naar KadastraleKaart Pro

Laatst gewijzigd

05/10/2010

Kadastrale kaart met maatvoering 59,95
Kadastrale kaart pakket 28,95

Percelen

Gebruik de zoekbalk of klik op een perceel om informatie over het perceel te bekijken.
Locatie
Meten
Lagen
Download