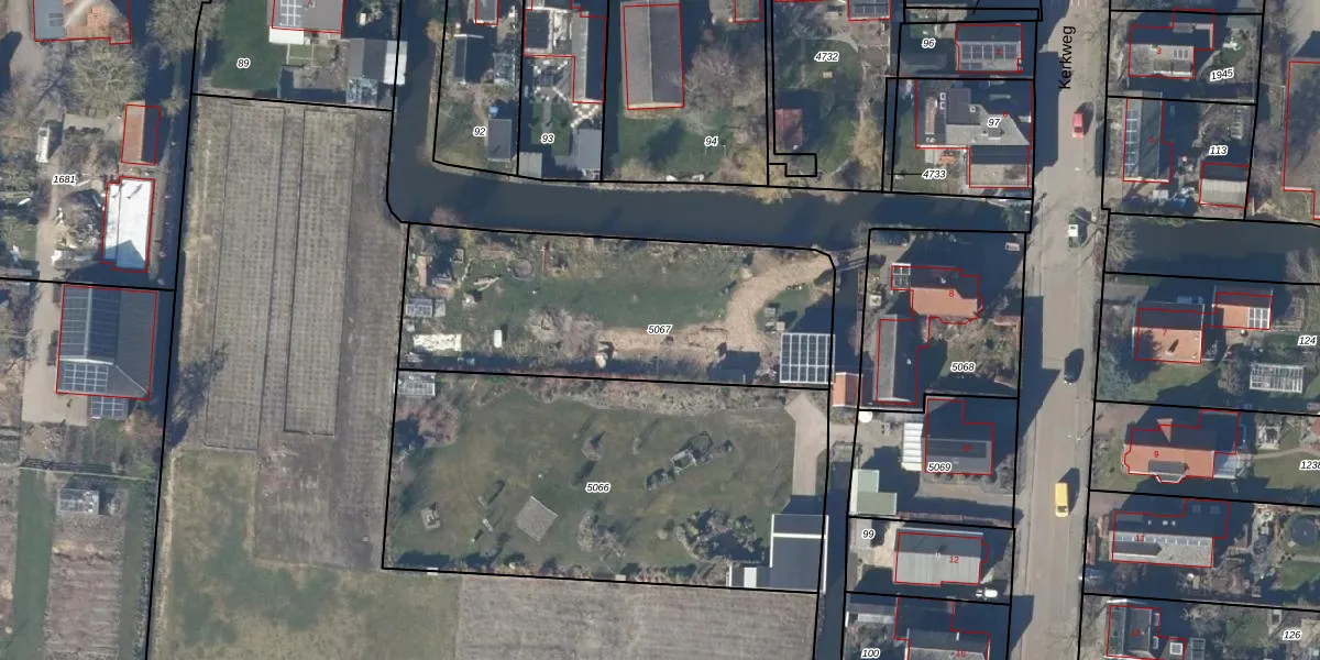
Perceel: VHZ03-G-5067

Adres bij perceel

Geen adressen bij dit perceel

Perceeloppervlakte & perceelomtrek

1.420 m2 - 172 m

Eigenaar van het perceel

Eigenaar opvragen

Kadastrale aanduiding

VHZ03-G-5067 (Venhuizen)

Postcode in perceel

    Geen postcode aanwezig

Type eigenaar

lYROMtgF8VZ2EmLteEb6 DlUpgrade naar KadastraleKaart Pro

Google Street View

Bekijk op Street View

Download

Download DWG/DXF/Excel

Gerelateerde percelen

RMsO40TW KJKw2aYy0IMaBUpgrade naar KadastraleKaart Pro

Bebouwd/onbebouwd/water/groen

NbwHgbidEY1FpUpgrade naar KadastraleKaart Pro
Administratieve eenheden
dr 6iqQrUpgrade naar KadastraleKaart Pro

Appartementsrechten

SgqsVG5mnUpgrade naar KadastraleKaart Pro

Vergunningverlenende instanties

EX94IDb7QVYJGsvdUpgrade naar KadastraleKaart Pro

Bedekking (BGT)

1 Z0 p4fU8R7SvvLmldDUpgrade naar KadastraleKaart Pro

Publiekrechtelijke beperkingen

OyXS2QpXByDJ AZBUpgrade naar KadastraleKaart Pro

Grensnauwkeurigheid

70dbL8nC1mQitlzT Zf4VUUpgrade naar KadastraleKaart Pro

Coördinaten hoekpunten perceel

qrlml KfQ FFyWIYUpgrade naar KadastraleKaart Pro

Hoogteligging

f 5zAXc bmUO HRW Upgrade naar KadastraleKaart Pro

Laatst gewijzigd

08/11/2017

Kadastrale kaart met maatvoering 59,95
Kadastrale kaart pakket 28,95

Percelen

Gebruik de zoekbalk of klik op een perceel om informatie over het perceel te bekijken.
Locatie
Meten
Lagen
Download