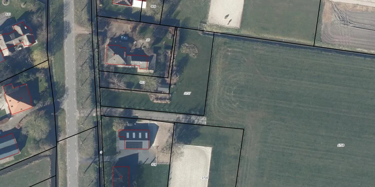
Perceel: VHZ03-L-1717

Adres bij perceel

Geen adressen bij dit perceel

Perceeloppervlakte & perceelomtrek

1.260 m2 - 203 m

Eigenaar van het perceel

Eigenaar opvragen

Kadastrale aanduiding

VHZ03-L-1717 (Venhuizen)

Postcode in perceel

    Geen postcode aanwezig

Type eigenaar

V0PBkH0dYnbc0N tlPOJACL24 WfT8Upgrade naar KadastraleKaart Pro

Google Street View

Bekijk op Street View

Download

Download DWG/DXF/Excel

Gerelateerde percelen

Mf YbA2Z14S72epnfUpgrade naar KadastraleKaart Pro

Bebouwd/onbebouwd/water/groen

A STUFvEBNWGVNUpgrade naar KadastraleKaart Pro
Administratieve eenheden
aZdkfoe AVpgGXy5gFl sdUpgrade naar KadastraleKaart Pro

Appartementsrechten

QX7faVxhh0nrjUpgrade naar KadastraleKaart Pro

Vergunningverlenende instanties

6GRGYL4l9aZJFqgFH Upgrade naar KadastraleKaart Pro

Bedekking (BGT)

CLJ5hjc wTECZOIUpgrade naar KadastraleKaart Pro

Publiekrechtelijke beperkingen

1fNRiLrQZe L sU Upgrade naar KadastraleKaart Pro

Grensnauwkeurigheid

pPVIBvtfXHWpk1eao4gHFpUpgrade naar KadastraleKaart Pro

Coördinaten hoekpunten perceel

scMabuqFXMlZGUpgrade naar KadastraleKaart Pro

Hoogteligging

ADxmlkD 2rLdGRUpgrade naar KadastraleKaart Pro

Laatst gewijzigd

23/03/2022

Kadastrale kaart met maatvoering 59,95
Kadastrale kaart pakket 28,95

Percelen

Gebruik de zoekbalk of klik op een perceel om informatie over het perceel te bekijken.
Locatie
Meten
Lagen
Download