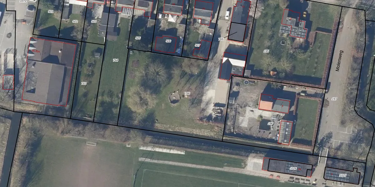
Perceel: VHZ03-L-766
KadastraleKaart.com kan meer dan je denktOntdek meer ›
Filter op bestemming 50+ datasets Eigendomsdata in één klik Percelen CRM
3.075 m2 - 322 m
Eigenaar opvragen
VHZ03-L-766 (Venhuizen)
- 1608 EC
vwjdQ4 5WOL3D7AaoUpgrade naar KadastraleKaart Pro
Verkoopprijs opvragen
Bekijk op Street View
Download DWG/DXF/Excel
sv9vErFCFLg9tZtOIUpgrade naar KadastraleKaart Pro
SeY3W8 zpFhck 2 r9U85Upgrade naar KadastraleKaart Pro
DZzQYLMOACzthUpgrade naar KadastraleKaart Pro
wutN JDsL2rSBhNdAZ96Upgrade naar KadastraleKaart Pro
vFhpqxR2f673Upgrade naar KadastraleKaart Pro
zkK2ENMGZnYdLzHdUpgrade naar KadastraleKaart Pro
ezB9se mHVlWrFRkKs8EvkUpgrade naar KadastraleKaart Pro
RmS5yEU3IUfXkGBtMLfXUpgrade naar KadastraleKaart Pro
uxzmtC0oMAfp9bf wfVUpgrade naar KadastraleKaart Pro
qpCrwluo0rXDZ37Upgrade naar KadastraleKaart Pro
06/11/2018

Percelen
Gebruik de zoekbalk of klik op een perceel om informatie over het perceel te bekijken.