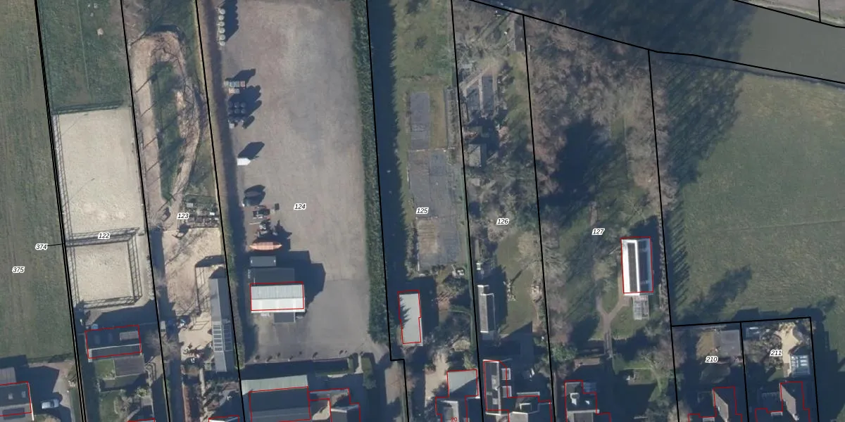
Perceel: VHZ03-R-125
KadastraleKaart.com kan meer dan je denktOntdek meer ›
Filter op bestemming 50+ datasets Eigendomsdata in één klik Percelen CRM
2.330 m2 - 279 m
Eigenaar opvragen
VHZ03-R-125 (Venhuizen)
- 1606 AB
iN60mPvxR4M5ljSj5V XLc QS662UkZUpgrade naar KadastraleKaart Pro
Verkoopprijs opvragen
Bekijk op Street View
Download DWG/DXF/Excel
X KSBY5 kGwlsX4XUpgrade naar KadastraleKaart Pro
sh3tFF65WvL54FOwv5AxcXNUpgrade naar KadastraleKaart Pro
Rq5LFqbWmF4t LmSeTdUpgrade naar KadastraleKaart Pro
hSl7NaVNrUpgrade naar KadastraleKaart Pro
q PJLd M8GsX4tv ky2igUpgrade naar KadastraleKaart Pro
S25ol B Noa 0BR5tMJwS rUpgrade naar KadastraleKaart Pro
6 HdbfWV R5LWJUUpgrade naar KadastraleKaart Pro
lDh8ka3UX9lfm77GKnmmDStUpgrade naar KadastraleKaart Pro
xko kauFHNKcPOTLgQaUpgrade naar KadastraleKaart Pro
JW LOF2LUpgrade naar KadastraleKaart Pro
09/11/2001

Percelen
Gebruik de zoekbalk of klik op een perceel om informatie over het perceel te bekijken.