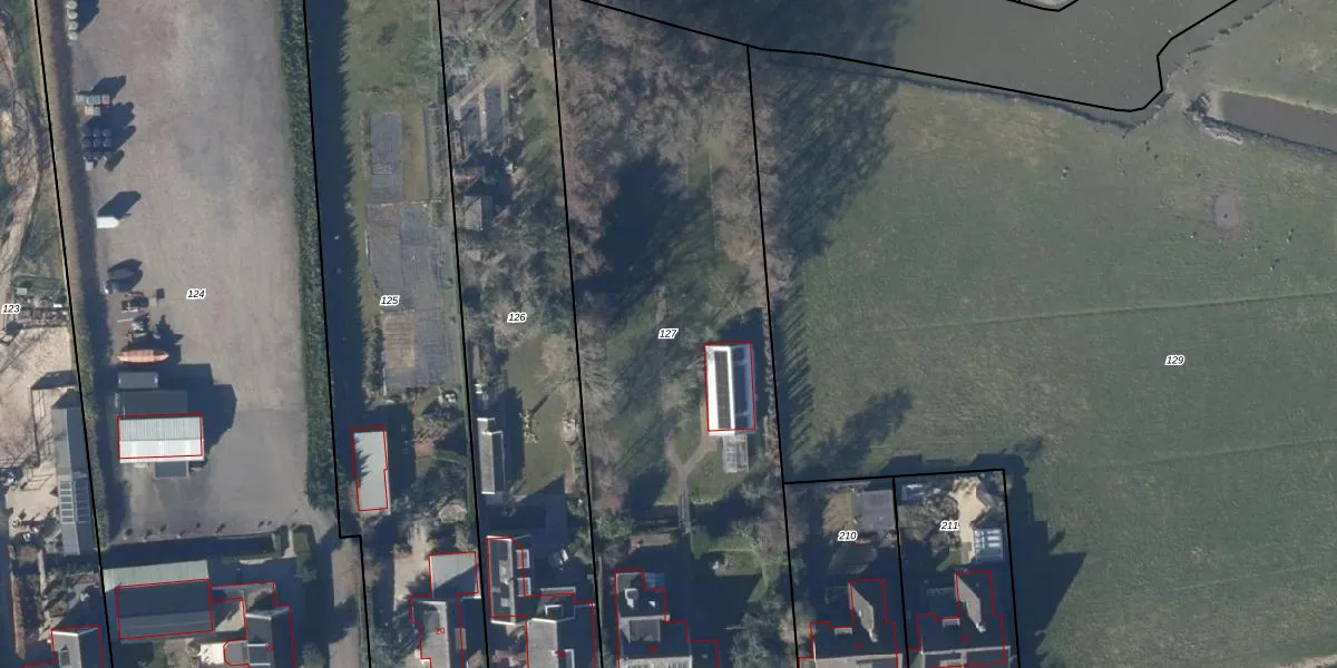
Perceel: VHZ03-R-127
KadastraleKaart.com kan meer dan je denktOntdek meer ›
Filter op bestemming 50+ datasets Eigendomsdata in één klik Percelen CRM
3.200 m2 - 280 m
Eigenaar opvragen
VHZ03-R-127 (Venhuizen)
- 1606 AB
DrF L2R KOrv3UJqo 9Upgrade naar KadastraleKaart Pro
Bekijk op Street View
Download DWG/DXF/Excel
acnHFvKMUpgrade naar KadastraleKaart Pro
0NEVNPCEIqism5dUpgrade naar KadastraleKaart Pro
F0YwyDM5Eh0KSM Upgrade naar KadastraleKaart Pro
6OiEDwHfcvLdcAtx82d9Upgrade naar KadastraleKaart Pro
XLYnokBn7Upgrade naar KadastraleKaart Pro
ciq uM fqzPoylZunaYUpgrade naar KadastraleKaart Pro
G2bAXNEd Upgrade naar KadastraleKaart Pro
jCe wUOQ2Sy1C fUpgrade naar KadastraleKaart Pro
e321Q Gp6dRdgyUpgrade naar KadastraleKaart Pro
qRN xtTaoYhtdPIOqbUpgrade naar KadastraleKaart Pro
28/09/2001

Percelen
Gebruik de zoekbalk of klik op een perceel om informatie over het perceel te bekijken.