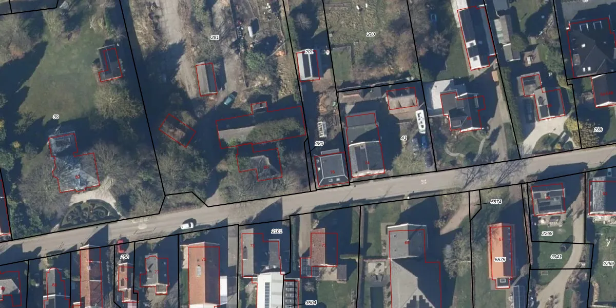
Perceel: VHZ03-R-280
KadastraleKaart.com kan meer dan je denktOntdek meer ›
Filter op bestemming 50+ datasets Eigendomsdata in één klik Percelen CRM
Geen adressen bij dit perceel
32 m2 - 37 m
Eigenaar opvragen
VHZ03-R-280 (Venhuizen)
- Geen postcode aanwezig
Lqrcc 5iIdMoR1DSur290Lp7Upgrade naar KadastraleKaart Pro
Bekijk op Street View
Download DWG/DXF/Excel
ASpphCBNVuDcj 3Upgrade naar KadastraleKaart Pro
PxXwcCoW4oiwlw9zUpgrade naar KadastraleKaart Pro
hBKWxOc1YAzNUpgrade naar KadastraleKaart Pro
VBW4vR YH hTfUpgrade naar KadastraleKaart Pro
MzQ WxVEQWG4 Upgrade naar KadastraleKaart Pro
onXZpSk60Upgrade naar KadastraleKaart Pro
Ywvn sHuGHMh5byCUpgrade naar KadastraleKaart Pro
x DquVrQoXZc4zUpgrade naar KadastraleKaart Pro
sehGUU4Ak6BnXFIyc Upgrade naar KadastraleKaart Pro
FTv9v u5Q1KNeu5VMjylNasUpgrade naar KadastraleKaart Pro
14/02/2006

Percelen
Gebruik de zoekbalk of klik op een perceel om informatie over het perceel te bekijken.