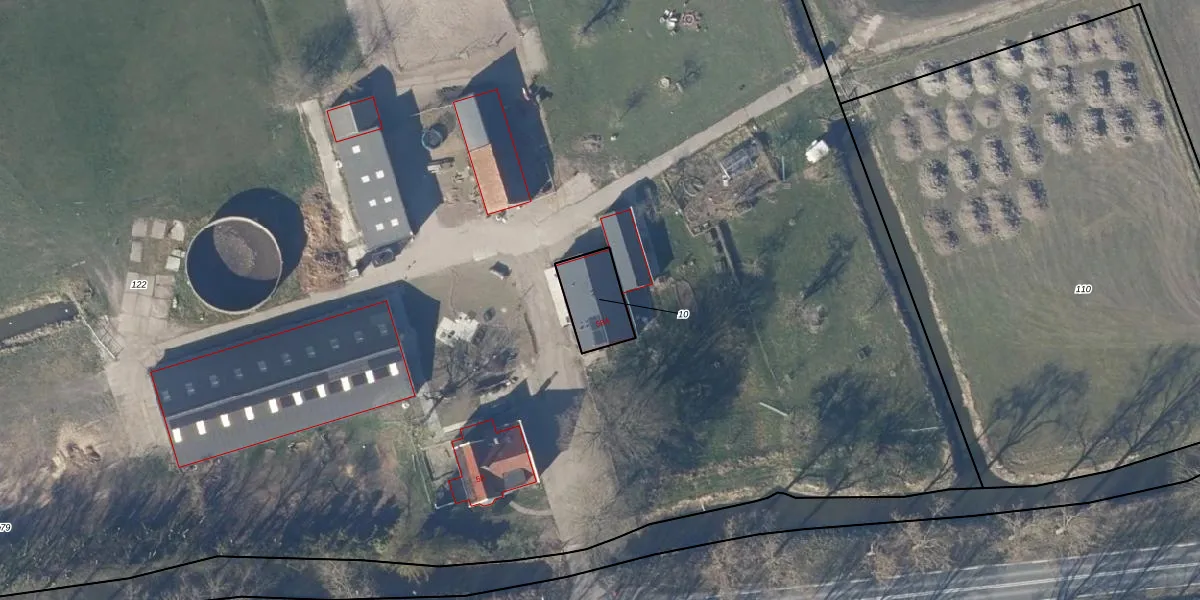
Perceel: VHZ03-S-10
KadastraleKaart.com kan meer dan je denktOntdek meer ›
Filter op bestemming 50+ datasets Eigendomsdata in één klik Percelen CRM
147 m2 - 50 m
Eigenaar opvragen
VHZ03-S-10 (Venhuizen)
- 1607 HD
O1ZS5Xyti6 MN6dE Upgrade naar KadastraleKaart Pro
Bekijk op Street View
Download DWG/DXF/Excel
23dNEo71 jDPGsNG0 sO2MUpgrade naar KadastraleKaart Pro
RZ50EvjsnrUapaZk8Fh JNUpgrade naar KadastraleKaart Pro
6Iukgm40qvQCyKF Upgrade naar KadastraleKaart Pro
D1Zy9J DCtk cw 8E8 s4 Upgrade naar KadastraleKaart Pro
YthKI82PMUpgrade naar KadastraleKaart Pro
eG2t qJ1aMQXF wbHBUpgrade naar KadastraleKaart Pro
ffKMJ0LB d2FD0NT MR9wwUpgrade naar KadastraleKaart Pro
3 HVZJzadsUpgrade naar KadastraleKaart Pro
mNZZK1GK8y htvANLUpgrade naar KadastraleKaart Pro
O2IW 28oUpgrade naar KadastraleKaart Pro
02/10/2001

Percelen
Gebruik de zoekbalk of klik op een perceel om informatie over het perceel te bekijken.