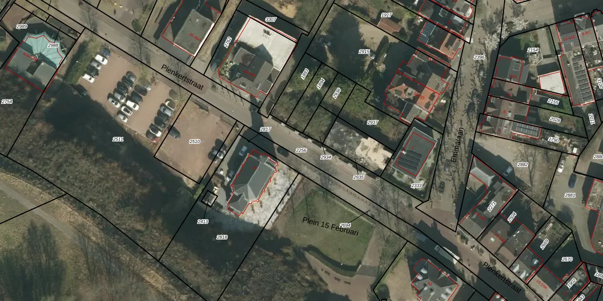
Perceel: VKB01-A-2256
Geen adressen bij dit perceel
3.030 m2 - 802 m
Eigenaar opvragen
VKB01-A-2256 (Valkenburg Limburg)
- Geen postcode aanwezig
X M6lH pBNv Dp VDEsUpgrade naar KadastraleKaart Pro
Bekijk op Street View
Download DWG/DXF/Excel
my Lbai0m3W9QlZoOQ7Upgrade naar KadastraleKaart Pro
InrlRrIQQ8O nzcWRnUpgrade naar KadastraleKaart Pro
aftYrHSlmEA44tjnBU4Dq 5Upgrade naar KadastraleKaart Pro
ehw5 7V R6oojUpgrade naar KadastraleKaart Pro
hJV99pcGVUpgrade naar KadastraleKaart Pro
wXXUdf kjvt4qmyRCZxIZUpgrade naar KadastraleKaart Pro
PddSJsHPU4IcXUpgrade naar KadastraleKaart Pro
MpGBAReE7 9Yxpx AUpgrade naar KadastraleKaart Pro
gwUCC2jqoIaQZUpgrade naar KadastraleKaart Pro
6cQy Ut qX0Upgrade naar KadastraleKaart Pro
18/10/2022

Percelen
Gebruik de zoekbalk of klik op een perceel om informatie over het perceel te bekijken.